Tuesday, February 27, 2024

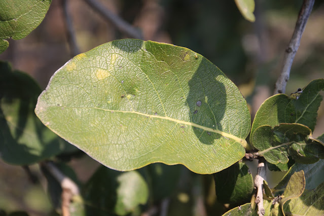
अपने घर व बगीचे में आप भी लगायें अपराजिता का पौधा

  • इस खूबसूरत फूल वाली बेल को लगाने का यही है सही समय
  • सुंदरता के साथ-साथ स्वास्थ्य के लिए भी है बहुत फायदेमंद 


अपराजिता या शंखपुष्पी एक खूबसूरत बेलदार पौधा है, जिसमें नीले और सफेद रंगों के फूल खिलते हैं। अपराजिता का पौधा घर में लगाने से सुख-समृद्धि बनी रहती है, साथ ही इसकी बेल आपके घर को सुन्दर बनाते हैं। यह खूबसूरत पौधा औषधीय गुणों से भी परिपूर्ण होता है। 

अपराजिता नाइट्रोजन स्थिरीकरण करने वाला पौधा है और जड़ों में नोड्स बनाता है। आप भी अपने किचन गार्डन या होम गार्डन में नीले रंग के फूल वाले पौधे अपराजिता को लगा सकते हैं। बेहद खूबसूरत अपराजिता के फूलों को लोग पूजापाठ  के लिए बहुत पसंद करते हैं। ये फूल अपनी सुंदरता के साथ-साथ स्वास्थ्य के लिए भी बहुत फायदेमंद होते हैं। इस फूल में एंटीऑक्सीडेंट्स की भरमार होती है। 

अपराजिता का पौधा एक वर्ष में मिट्टी में प्राकृतिक रूप से लगभग 15-20 प्रतिशत फॉस्फेट, पोटेशियम और सल्फर के साथ 30 से 35 प्रतिशत नाइट्रोजन की मात्रा को बढ़ा सकता है। यह गर्म और आर्द्र जलवायु में अच्छी तरह ग्रो करने वाला, काफी गहरी जड़ प्रणाली वाला पौधा है। बीज से अपराजिता फूल का पौधा उगाने का सही समय वसंत ऋतु का मौसम होता है जब तापमान 18 से 24 डिग्री सेल्सियस के बीच हो। यह अपराजिता या नीलकंठ का पौधा अधिक ठंड में अच्छी तरह से विकसित नहीं होता है, इसलिए इसे हल्के गर्म मौसम में ही लगाना उचित है।

अपराजिता के पौधे को बीज से कैसे उगाएं 

अपराजिता या शंखपुष्पा के पौधे को बीज से उगाने में अधिक समय लगता है लेकिन इसे बीज से लगाना काफी आसान है, इसलिए आमतौर पर लोग कटिंग से नहीं बल्कि अपराजिता के पौधे को बीज से उगाना उचित समझते हैं। घर पर अपराजिता प्लांट लगाने के लिए 9 गुणे 9 इंच या इससे अधिक गहराई वाले गमले या ग्रो बैग का चयन करें, जिसमें जल निकासी छेद अवश्य हो। 

अपराजिता का पौधा उगाने के लिए बीज को नार्मल पानी में 5-7  घंटे के लिए घर के अन्दर रखें। मिट्टी का मिश्रण तैयार कर गमले में भरें और मिट्टी में ऊँगली से एक इंच का छेद करें और उसमें बीज को डालकर ढक दें।

प्रत्येक बीज को 3-4  इंच की दूरी पर लगाएं। अपराजिता के बीज उचित तापमान पर 15 से 20 दिनों के अन्दर अंकुरित हो सकते हैं। बीज लगे गमले की मिट्टी में नमी बनाएं रखें। बीज अंकुरित होने के बाद अपराजिता के पौधों से फूल खिलने में 6 से 8 महीने का समय लगता है।

अपराजिता पौधे की देखभाल कैसे करें 

जब अपराजिता के पौधे बड़े हो जाते हैं तो उन्हें अधिक देखभाल की आवश्यकता नहीं होती, लेकिन थोड़ा समय अपने अपराजिता के पौधों को देना जरूरी है। 


अपराजिता पौधे के गमले को धूप वाले स्थान पर रखें, जहाँ पौधे को रोजाना 6-8 घंटे सूर्य प्रकाश मिल सके। पौधे को नियमित रूप से पानी देते रहें तथा मिट्टी में नमी बनाए रखें। फ्लावरिंग सीजन के दौरान मृत और मुरझाए फूल तथा शाखाओं की प्रूनिंग अवश्य करें, यदि आप फूलों को सूखने या परिपक्क होने के लिए छोड़ देते हैं तो उसमें बीज विकसित होने लगेंगे और पौधे में फूल लगने कम हो जाएंगे।

अपराजिता के पौधे बेल के रूप में बढ़ते हैं तथा इनकी लम्बाई 10 से 15 फीट की होती है इसलिए इसके पौधे को रस्सी या जाली का सहारा अवश्य दें। पौधे लगे गमले की मिट्टी में जलजमाव न होने दें। अपराजिता के पौधे को कीटों से सुरक्षित रखने के लिए नीम तेल और पानी के घोल का स्प्रे किया जाना चाहिए।

00000

Sunday, February 25, 2024

क्या दुनिया विनाश की ओर जा रही है ?

 

विश्व प्रसिद्ध रहस्यदर्शी ओशो के सर्वाधिक निकट रहने वाले उनके शिष्य और लेखक स्वामी अगेह भारती। 

।। स्वामी अगेह भारती ।।  

विख्यात फिजिसिस्ट स्टीफन हाकिंग ने 2017 में कहा था कि मनुष्य का जीवन पृथ्वी पर 100 वर्ष और है बस. और 600 वर्षो में पृथ्वी आग का एक गोला रह जाएगी. जिसे और जीना हो अभी से दूसरे ग्रहों पर जाने के उपाय करने लगे. पहला खतरा उसने बताया बढ़ता तापमान. दूसरा बताया परमाणु बमों के ढेर. तीसरा तेजी से बढ़ती आबादी. सुझाया एक विश्व सरकार की तत्काल जरुरत. बमो को निष्क्रिय करो.

14 फ़रवरी 2016 को  न्यूज़ नेशन के रात 9.30 बजे के न्यूज़ में बताया गया कि नासा ने महा विनाश का अल्टीमेटम दिया.184 देशों के 15000 वैज्ञानिकों का एक सेमिनार ओरेगॉन स्टेट यूनिवर्सिटी में हुआ. अंत में उन्होंने न्यूज़ रिलीज़ किया  " वर्ल्डस साइंटिस्टस सेकंड वार्निंग टु ह्युमानिटी " (विश्व के वैज्ञानिकों की मानवता को दूसरी चेतावनी)

क्लाइमेंट ट्रेंड की डायरेक्टर डॉ आरती खोसला ने  चेतावनी देते हुए कहा है कि 1.5 डिग्री सेल्सियस तक तापमान बढ़ा तबतो किसी तरह सम्हाला जा सकेगा लेकिन इससे अधिक बढ़ा तो मनुष्य को बहुत बुरे दिन देखने होंगे. गत गर्मी में ही कनाडा का बुरा हाल था. भारत में भी राजस्थान में भी अनेक स्थलों पर बुरा हाल था.

मैं कहना यह चाहता हूं कि भारत में जन्मे बुद्ध पुरुष ओशो इस सब की चेतावनी 1962 से ही देते रहे हैं. वे तो बचने के उपाय भी बताते रहे है. किन्तु नासमझ मीडिया ने उनको सेक्स गुरु टाइटल देकर एक तरह से अलग ही कर दिया है. जबकि उनकी बोली गयी 650 पुस्तकों में एक का नाम है 'सम्भोग से समाधि की ओर '. इसको भी मीडिया ने नाम दे दिया 'सम्भोग से समाधि.' जबकि डॉ. हरिवंश राय बच्चन ने तो कहा कि यह पुस्तक कॉलेजेस में टेक्स्ट बुक होना चाहिए. और शादियों में दहेज़ में दिया जाना चाहिए. इलस्ट्रेटेड वीकली ऑफ़ इंडिया के तत्कालीन सम्पादक खुशवंत सिंह ने 1980 में एडिटोरियल लिखा है कि इस कण्ट्रोवरसियल पुस्तक को जब मैंने देखना शुरू किया तो चकित रह गया. एक एक शब्द अपार प्रज्ञा से भरा है. 16 से 60 वर्ष के हर इंसान को इसे पढना चाहिए.

ऑस्ट्रेलिया व  अमेरिका के जंगलों में आग लगती है तो महीनों लग जाते हैं बुझाने में. गलेशियर  तेजी से पिघल रहे हैं. कुदरत से छेड़ छाड़, टूरीज़्म के नाम पर  होटलों का निर्माण. सारे देश में  पटाखों के कारखाने, रावण, होलिका दहन तत्काल बंद कर देना चाहिए. अपने भीतर के रावण व होलिका को जलाना चाहिए.

दुनिया के वैज्ञानिक जिस तरह चिंतित है उस तरफ राजनीतिज्ञ ध्यान नहीं दे रहे हैं जिनके हाथ में ताकत है. यह चिंताजनक है. ओशो नें अपने आखिरी दिनों में कहा था कि सब एक हो जाओ या एक साथ विदा होने को. तैयार रहो.

00000

Saturday, February 24, 2024

वह स्थान जहाँ भगवान श्रीराम ने दैत्यों के संहार का लिया था प्रण

  • पवित्र मनोरम स्थल सारंग धाम को है विकास की दरकार
  • समुचित देखरेख के अभाव में उजड़ रही है यह तपोस्थली

पन्ना जिले में स्थित सारंगधर आश्रम का प्रवेश द्वार।

।। अरुण सिंह ।।

पन्ना। जिला मुख्यालय पन्ना से लगभग 18 किमी. दूर धनुषाकार पहाड़ी की तलहटी में स्थित प्राकृतिक मनोरम स्थल सारंगधाम को विकास व समुचित देखरेख की दरकार है। आध्यात्मिक आबोहवा से परिपूर्ण यह खूबसूरत स्थान सुतीक्षण मुनि की तपोस्थली रही है। बताया जाता है कि वन गमन के समय मर्यादा पुरूषोत्तम भगवान श्रीराम ने यहां पर धनुष उठाकार दैत्यों के संहार का प्रण लिया था, इसीलिए इस पवित्र तपोस्थली का नाम सारंगधर पड़ा। लेकिन धार्मिक महत्व का यह मनोरम स्थल उपेक्षित है और समुचित देखरेख के अभाव में यहां की प्राकृतिक सुषमा व आध्यात्मिक ऊर्जा तिरोहित हो रही है।

उल्लेखनीय है कि सारंगधाम प्राचीन ऋषि-मुनियों की वह तपोस्थली है जहां पहुंचने पर अपूर्व शान्ति और आनन्द की अनुभूति होती है। यहां की हरी-भरी पहाड़ी व जहां आश्रम स्थित है, हर कहीं चप्पे-चप्पे पर ऋषि मुनियों की तपश्चर्या की तरंगे आज भी महसूस की जा सकती हैं। लेकिन विगत कुछ वर्षों से यहां की आध्यात्मिक आभा व प्राकृतिक सौन्दर्य धीरे-धीरे गायब होता जा रहा है। पूर्व में सारंगधाम स्थित जलकुण्ड के निकट अक्षय वट रहा है जिसके पास बैठने से अपूर्व आत्मिक शान्ति की अनुभूति और आध्यात्मिक ऊर्जा का संचार होता था। 

लेकिन दुर्भाग्य से अब इस पावन स्थली पर अक्षय वट के दर्शन नहीं होते, क्योंकि सदियों पुराना यह अनूठा वृक्ष हमारी नासमझियों के कारण सूख गया है। जिस अक्षय वट की मौजूदगी से सारंगधाम आश्रम की एक अलग ही अलौकिक छटा देखने को मिलती थी, उस वृक्ष की गैर मौजूदगी से वही स्थल उजाड़ सा नजर आने लगा है। जिसने भी अक्षय वट के नीचे बैठने का अनुभव लिया है वह इस बात को प्रगाढ़ता के साथ महसूस कर सकता है कि बीते कुछ सालों में यहां कितना कुछ बदल गया है। 


यह स्थल हमारी अनूठी आध्यात्मिक धरोहर है जिसे हम उसके प्राकृतिक स्वरूप में सुरक्षित नहीं रख पाये। पन्ना के पूर्व कलेक्टर बसंत प्रताप सिंह ने सारंगधाम को भविष्य के अनूठे पर्यटन स्थल के रूप में पहचानकर यहां के विकास की योजना बनाई थी। उनके कार्यकाल में इस स्थल का बड़े ही सुनियोजित तरीके से कलात्मक विकास भी हुआ। उसके बाद सिर्फ एक-दो कलेक्टरों ने और ध्यान दिया फिर किसी ने भी इस तपोस्थली की सुध नहीं ली। सतत उपेक्षा व समुचित देख-रेख के अभाव में सारंगधर आश्रम में संकट के बादल मंडराने लगे और अब आलम यह है कि यहां की प्राकृतिक खूबसूरती भी तेजी से तिरोहित हो रही है।

पन्ना जिले की यही खूबी है कि प्रकृति ने यहां की धरती को अनुपम सौगातों से समृद्ध किया है। यहां के घने जंगल, हरी-भरी पहाडिय़ां, धार्मिक व ऐतिहासिक महत्व के मनोरम स्थल ही पन्ना जिले की महिमा का बखान करते हैं। यदि हम इन धरोहरों को न सहेज पाये तो पन्ना जिले का नैसर्गिक व आध्यात्मिक आभा मंडल भी विलुप्त हो जायेगा, जिसकी भरपाई कर पाना संभव नहीं होगा। इस जिले में सारंगधर जैसे अनेकों पवित्र व मनोरम स्थल हैं, जिनका सही ढंग़ से यदि विकास किया जाय तो ये धार्मिक महत्व के स्थल सभी के आकर्षण का केन्द्र बन सकते हैं। यदि शिक्षा, स्वास्थ्य और पर्यटन के विकास पर योजनाबद्ध तरीके से इस जिले में काम हो तो पांच साल में ही यहां का कायाकल्प हो सकता है।

औषधीय गुणों से परिपूर्ण है रामकुण्ड

सारंगधर आश्रम में जल कुण्डों की पूरी श्रंखला है लेकिन इनमें रामकुण्ड की महिमा अपार है। इस अनूठे प्राकृतिक कुण्ड की सबसे बड़ी विशेषता यह है कि यह हमेशा कंचन जल से लबरेज रहता है। सूखा व अकाल पडऩे पर भी इस कुण्ड पर कोई असर नहीं होता, कितना भी पानी निकाले कुण्ड का जल स्तर यथावत बना रहता है। पहाडिय़ों से रिसकर इस कुण्ड में पहुंचने वाले जल में चमत्कारिक औषधीय गुण भी मौजूद हैं। कुण्ड के जल का नियमित सेवन करने वाले को पेट से संबंधित कोई विकार नहीं होते। यहां का पानी पीने से भूख बढ़ती है तथा पाचन की क्रिया भी दुरूस्त रहती है। कुण्ड के औषधीय गुणों की ख्याति दूर-दूर तक है, फलस्वरूप अनेकों लोग यहां आकर कुण्ड का पानी लेकर जाते हैं।

रामवन गमन मार्ग में सारंग का विशेष उल्लेख



राम वनगमन मार्ग में भगवान जिन-जिन स्थानों पर पहुंचे हैं, उनमें सारंगधर का विशेष उल्लेख है। इस पूरे इलाके में आज भी ऐसे चिह्न व संकेत मिलते हैं जिससे पता चलता है कि भगवान श्रीराम वनगमन के समय यहां से होकर गुजरे हैं। सारंग के निकट स्थित बृहस्पति कुण्ड भी पावन स्थलों में से एक है, यहां पर आज भी दर्जनों ऐसी गुफाएं हैं जहां ऋषि मुनि तपस्या करते रहे हैं। 

इन गुफाओं की शान्ति व शीतलता स्थल की पवित्रता का बखान करती है। सारंग की पहाडिय़ों से लेकर बृहस्पति कुण्ड के घने जंगल व सेहों में अलौकिक वनौषधियों का भण्डार है। आर्युवेद के जानकारों का कहना है कि सारंग की पहाडिय़ों में ऐसी औषधियां भी मिल जाती हैं जो सिर्फ हिमालय में मिलती हैं। लेकिन जंगलों की हो रही अधाधुंध कटाई के कारण यह प्राकृतिक संपदा भी नष्ट हो रही है।

00000 

Friday, February 23, 2024

खजुराहो नृत्य महोत्सव : नृत्यों की थिरकन में दमका संस्कृति का वैभव


नृत्यों में जीवन का आनंद है उमंग है उल्लास है। नृत्य हमारी संस्कृति को आनंददायी अभिव्यक्ति देते हैं। यहां खजुराहो नृत्य महोत्सव में भारतीय शास्त्रीय नृत्यों का ऐसा कोलाज बनता है कि जिसका हरेक रंग चटकीला है। महोत्सव के चौथे दिन भी नृत्यों की चैपल थिरकन, देह गतियों भाव भंगिमाओं से भारतीय संस्कृति का वैभव दमक उठा। आज मोमिता घोष वत्स का ओडिसी, पद्मश्री नलिनी कमलिनी, मार्गी मधु, सुचित्रा हरमलकर,और रोशाली राजकुमारी के समूह ने अलग अलग नृत्यों की प्रस्तुतियों से रसिकों को विभोर कर दिया।

महोत्सव में आज की शुरुआत मोमिटा घोष वत्स के ओडिसी नृत्य से हुई। उन्होंने विष्णु ध्यान से अपने नृत्य की शुरुआत की। राग विभास और एक ताल में निबद्ध साजिया आलम की संगीत रचना पर मोमिता जी ने बड़े ही मनोहारी ढंग से अपने नृत अभिनय और भंगिमाओं से भगवान विष्णु को साकार किया। अगली पेशकश में उन्होंने समध्वनि की प्रस्तुति दी। यह शुद्ध ओडिसी नृत्य था। इस प्रस्तुति में मोमिता जी ने अंग क्रियाओं और लय का तालमेल दिखाया। राग गोरख कल्याण और एक ताल में निबद्ध रचना पर उन्होंने विविध लायकारियों का चलन दिखाया। इस प्रस्तुति में भी संगीत संयोजन नाजिया आलम का था जबकि नृत्य संयोजन स्वयं मोमिता जी का था। मोमिता ने नृत्य का समापन जयदेव कृत गीत गोविंद की अष्टपदी" धीर समीरे यमुना तीरे"  से किया।इस प्रस्तुति में उन्होंने राधा कृष्ण के दिव्य प्रेम को अपने नृत्य भावों से प्रदर्शित किया। इस प्रस्तुति में संगीत संयोजन पंडित भुवनेश्वर मिश्रा का है जबकि नृत्य संरचना पद्मविभूषण केलुचरण महापात्र ने की। मोमिता के साथ गायन में सुकांत नायक, मर्दल पर प्रशांत महाराना,वायलिन पर गोपीनाथ स्वैन,सितार पर लावण्या अंबाडे और बांसुरी पर सिद्धार्थ दल बेहरा ने साथ दिया।

आज की दूसरी प्रस्तुति में पद्मश्री नलिनी कमलिनी का बेहतरीन कथक नृत्य हुआ। कथक के बनारस घराने की प्रतिनिधि कलाकार नलिनी कमलिनी ने शिव स्तुति से कंदरिया महादेव को नृत्यांजलि अर्पित की। राग मालकौंस के सुरों में पागी और 12 मात्रा में निबद्ध ध्रुपद अंग की रचना " चंद्रमणि ललाट भोला भस्म अंगार" पर दोनों बहनों ने नृत्य की प्रस्तुति से शिव को साकार करने की कोशिश की। इसके पश्चात तीन ताल में कलावती के लहरे पर उन्होंने शुद्ध नृत्य की प्रस्तुति दी। इसमें उन्होंने पैरों की तैयारी के साथ सवाल जवाब, और विविधतापूर्ण लयकारी का प्रदर्शन किया।

 दोनों बहनों ने होली की ठुमरी पर भाव नृत्य भी किया। पंडित जितेंद्र महाराज द्वारा लिखी गई काफी की ठुमरी "मत मारो श्याम पिचकारी" पर उन्होंने बेहतरीन नृत्य प्रस्तुति दी। इस प्रस्तुति में नीलाक्षी सक्सेना और शालिनी तिवारी ने भी साथ दिया । समापन में भैरवी में पद संचालन करके उन्होंने द्रुत तीनताल का काम दिखाया उनके साथ गायन में नलिनी निगम, तबले पर अकबर लतीफ, वायलिन पर अफजाल जहूर, बांसुरी पर शिवम ने साथ दिया। होली का नृत्य संयोजन पंडित जितेंद्र महाराज का था।

मध्यप्रदेश की जानी मानी कथक नृत्यांगना डॉ सुचित्रा हरमलकर ने भी आज अपने समूह के साथ खजुराहो के समृद्ध मंच पर खूब रंग भरे। रायगढ़ घराने से ताल्लुक रखने वाली सुचित्रा जी ने भी अपने नृत्य का आगाज शिव आराधना से किया। तीनताल में दरबारी की बंदिश - हर हर भूतनाथ पशुपति" पर नृत्य करके उन्होंने शिव के रूपों को सामने रखने की कोशिश की। दूसरी प्रस्तुति में उन्होंने जटायु मोक्ष की कथा को नृत्य भावों में पिरोकर पेश किया। अगली प्रस्तुति में उन्होंने जयदेव कृत दशावतार पर ओजपूर्ण नृत्य की प्रस्तुति दी। समापन उन्होंने द्रुत तीनताल में तराने से किया। इन प्रस्तुतियों में उनके साथ योगिता गड़ीकर, निवेदिता पंड्या, साक्षी सोलंकी, उन्नति जैन, फागुनी जोशी, महक पांडे और श्वेता कुशवाह ने साथ दिया। साज संगत में तबले पर मृणाल नागर, गायन में वैशाली बकोरे। मयंक स्वर्णकार, और सितार पर स्मिता बाजपेई ने साथ दिया।

मणिपुरी नृत्य की जानी मानी कलाकार रोशली राजकुमारी के समूह ने भी आज महोत्सव में अपनी प्रस्तुति दी। इस समूह ने भागवत परंपरा की पंचाध्यायी पर आधारित बसंत रास की प्रस्तुति दी। जयदेव की कृतियों पर मणिपुरी नर्तकों की टोली ने बड़े ही श्रंगारिक ढंग से यह प्रस्तुति दी। वास्तव में ये एक तरह की रासलीला थी जिसमे नर्तकों के हाव भाव और चाल बेहद संयमित थे। इस प्रस्तुति में संध्यादेवी, लिंडा लेईसंघथेम विद्याश्वरी देवी, मोनिका राकेश्वरी देवी, सनाथोंबी देवी ने नृत्य में सहयोग किया। जबकि गायन में लांसन चानू,ने साथ दिया। संगीत राजकुमार उपेंद्रो सिंह और नंदीकुमार सिंह का था। समूह ने राकेश सिंह के निर्देशन में यह प्रस्तुति दी।

अंतिम पेशकश केरल के प्रसिद्ध कोच्चि कोडिअट्टम नृत्य की रही। केरल के कलाकार मार्गी मधु और उनके साथियों ने इस नृत्य के माध्यम से जटायु मोक्ष की लीला का प्रदर्शन किया। दरअसल यह नृत्य नाटिका थी । इसमें गुरु मार्गी मधु चक्यार,ने रावण सौ इंदु ने सीता, श्री हरि चकयार ने जटायु का अभिनय किया। इस प्रस्तुति में सीता हरण से लेकर जटायु मोक्ष तक की लीला का वर्णन था।मार्गी मधु ने ये पूरी लीला बड़े ही सलीके से पेश की। कार्यक्रम का संचालन कला समीक्षक विनय उपाध्याय ने किया।

00000

खजुराहो के प्राचीन मंदिरों की वैभव की छाया में बुना जा रहा नृत्य परम्पराओं का ताना-बाना

  •  "50वां खजुराहो नृत्य समारोह" का तीसरा दिन, नृत्य प्रस्तुति, कला विमर्श और गुरु-शिष्य संगम के नाम रहा


खजुराहो के प्राचीन मंदिरों के वैभव की छाया में यह नृत्य समागम दिन—प्रतिदिन कलाओं के प्रति लोगों का प्रेम बढ़ाने का कार्य कर रहा है। प्रतिदिन उन्हें भारत की बहुरंगी सांस्कृतिक विरासत से साक्षात्कार करने का अवसर प्राप्त हो रहा है। पिछले पांच दशकों से नृत्य एवं समकालीन कलाओं के रंगों को बिखेरता आ रहा खजुराहो नृत्य समारोह अपनी स्वर्ण जयंती पर कलारसिकों के हृदय को आनंद की अनुभूतियों से भर रहा है। 

मुख्य मंच पर तीसरे दिन की नृत्य सभा की शुरुआत सुश्री साक्षी शर्मा, दिल्ली के कथक नृत्य प्रस्तुति के साथ हुई। अपनी प्रस्तुति की शुरुआत आराध्य देव भगवान शिव की स्तुति कर की। इस शिव स्तुति की विशेषता थी कि यह राजस्थानी लोक परम्परा में गाई जाती है और कथक के गुरुओं ने इस रचना को कथक में सौंदर्यपूर्ण ढंग से पिरोया है। इसके पश्चात् तीन ताल विलंबित में नृत्य पक्ष की प्रस्तुति दी, जिसमें कुछ पारंपरिक बंदिशों को हस्तकों और पदचाप के माध्यम से प्रदर्शित किया। प्रस्तुति के अगले क्रम में एक ठुमरी की प्रस्तुति दी, जो नायिका सौंदर्य के ऊपर आधारित थी, इसके बोल थे 'लचक लचक चलत चाल इठलाती चतुर नार'। प्रस्तुति के अंतिम चरण में द्रुत तीन ताल की प्रस्तुति दी, जिसमें परने, तिहाई एवं गत निकास की प्रस्तुति देकर विराम दिया।

कथक के सौंदर्य को देखने के बाद अब बारी थी ओडिसी नृत्य को देखने की, जिसे मंच पर लेकर आई कस्तूरी पटनायक, संकल्प फाउंडेशन फॉर आर्ट एंड कल्चर, दिल्ली—महारी। ओडिसी की सच्ची साधक कस्तूरी पटनायक ने अपनी प्रस्तुति की शुरुआत मंगलाचरण से की। "कृत्रत देव वंदनम राम अष्टकम स्तोत्र" पर आधारित मंगलाचरण की कोरियोग्राफी और संगीत रचना स्वयं विदुषी कस्तूरी पटनायक ने की है। मंगलाचरण में, विदुषी पटनायक ने एक समग्र और उदात्त आह्वान प्रदान किया - ब्रह्मांड और ब्रह्मांडीय संपूर्ण को एक दिव्य नमस्कार। कलाकार सुस्त जीवनशैली में दिव्य रोशनी और आध्यात्मिक मार्गदर्शन के लिए निरंतर प्रयास में रहता है।

दूसरी प्रस्तुति चारुकेशी पल्लवी की रही और इसे अनीता राउत, सुनीता बिस्वाल, शुभाश्री प्रधान, सुनीमा प्रधान, स्वास्तिका प्रधान और देबकी मलिक द्वारा प्रस्तुत किया गया। चारुकेशी पल्लवी राग चारुकेशी और ताल त्रिपुत्त पर आधारित थी। तीसरी प्रस्तुति कस्तूरी पटनायक और उनके छह शिष्यों द्वारा प्रस्तुत किया गया। इस प्रस्तुति का नाम "शिव पंचाक्षर स्तोत्र - नागेंद्र हरय त्रिलोचनाय, भस्मांग रागाय महेश्वराय" था, जो आदि शंकराचार्य द्वारा लिखित और भगवान शिव को समर्पित है, जो पूरे ब्रह्मांड को समाहित करता है। इस स्तोत्रम का संगीत पंडित श्री भुवनेश्वर मिश्रा द्वारा तैयार किया गया है और नृत्य की कोरियोग्राफी विदुषी कस्तूरी पटनायक ने की है। उनकी चौथी प्रस्तुति महारी थी। "महारी" शब्द का संस्कृत में अनुवाद "पवित्र नर्तकी" या "देवदासी" है, जो इस कला रूप के आध्यात्मिक और धार्मिक जुड़ाव को दर्शाता है। उन्होंने अंतिम प्रस्तुति अभिनय आधारित थी, जिसका नाम था "मनी बिमाने गोविंदा"। इस प्रस्तुति ने पुरी में होने वाले चंदन जात्रा को दिखाया।

ओडिसी की परंपराओं और अनुशासन से रूबरू होते हुए नृत्य की यह अलौकिक यात्रा पहुंची केरल के मोहिनीअट्टम नृत्य पर, जिसका प्रदर्शन किया विद्या प्रदीप ने। उन्होंने सर्वप्रथम नट्टूवंगम की प्रस्तुति दी। इसके बाद चोलकेट्टू की प्रस्तुति दी, जिसे कोरियोग्राफ किया गुरु डॉ.नीना प्रसाद ने। 

तीसरे दिन की नृत्य सभा की अंतिम प्रस्तुति सुप्रसिद्ध कथक कलाकार पद्मश्री पुरु दाधीच एवं हर्षिता शर्मा दाधीच एवं समूह, इंदौर की रही। कथक से शुरू हुआ नृत्य का यह सिलसिला कथक पर ही थमा। इस प्रस्तुति का नाम "ऋतु गीतम" था, जिसे लिखा और कोरियोग्राफ किया गुरु पुरु दाधीच ने। इस प्रस्तुति में उन्होंने छह ऋतुओं का नृत्याभिनय से वर्णन किया। इस प्रस्तुति में गीत और नृत्य रचना पुरु दाधीच की थी जबकि संगीत कार्तिक रामन का था। राग भूप कल्याण सारंग से लेकर बसंत बहार मल्हार और ध्रुपद खयाल ठुमरी से लेकर तमाम सांगीतिक चीजों से सजी यह प्रस्तुति खूब पसंद की गई। इस प्रस्तुति में स्मिता विरारी ने गायन, अश्विनी ने वायलिन, बांसुरी पर अनुपम वानखेड़े और तबले पर कौशिक बसु ने साथ दिया। जबकि नृत्य में हर्षिता दाधीच, दमयंती भाटिया, आयुषी मिश्र, सरवैया जैसलिन, पूर्वा पांडे, मुस्कान, अक्षता पौराणिक, डॉ सुनील सुनकारा, अक्षोभ्य भारद्वाज और कैलाश ने साथ दिया। वेशभूषा क्षमा मालवीय की थी और सूत्रधार स्वयं डॉ. पुरु दाधिच थे।

मध्यप्रदेश शासन, संस्कृति विभाग एवं उस्ताद अलाउद्दीन खां संगीत एवं कला अकादमी के साझा प्रयासों और भारतीय पुरातत्व सर्वेक्षण, मध्यप्रदेश पर्यटन विभाग एवं स्थानीय प्रशासन के सहयोग से यूनेस्को विश्व धरोहर स्थल खजुराहो में विश्वविख्यात "५०वां खजुराहो नृत्य समारोह" के तीसरे दिवस गुरुवार को कला के विविध आयामों का संगम हुआ। इस अवसर पर उप संचालक संस्कृति संचालनालय सुश्री वंदना पाण्डेय और निदेशक उस्ताद अलाउद्दीन खां संगीत एवं कला अकादमी श्री जयंत भिसे ने आमंत्रित कलाकारों का स्वागत पुष्पगुच्छ भेंट कर किया। 

"कलावार्ता"

"50वां खजुराहो नृत्य समारोह" का तीसरा दिन कला और कला समीक्षा पर सार्थक विमर्श से शुरू हुआ। कलावार्ता की दूसरी सभा की वक्ता थीं दिल्ली की जानी—मानी कला समीक्षक सुश्री शशिप्रभा तिवारी। इस अवसर पर उन्होंने कहा कि जिस तरह योगी समाधि लेता है, उस ही तरह कलाकार भी मन की समाधि से कला की अभिव्यक्ति कर पाता है और पीढ़ियों तक आनंद प्रेषित कर पाता है। कला दो पदों का मेल है, एक तो क्रिया और दूसरा ज्ञान। क्रिया अभिव्यक्ति है और ज्ञान दर्शन, वेद, संस्कृति, जीवन और अनुभव से प्राप्त होता है। एक कलाकार अपने नृत्य के माध्यम से सम्पूर्ण जीवन को दर्शा जाता है, जिसमें संगीत, साहित्य, वांगमय, चित्रकारी शामिल होती है। कलाएं अमर होती हैं। भारतीय संस्कृति सदैव देने की बात करती है लेने की नहीं। कलाकार दो या चार साल में नहीं, बल्कि लंबी यात्रा के बाद उस स्तर तक पहुंच पाता है जहां वह संपूर्णता को अभिव्यक्त कर पाता है। 

"लयशाला"

लयशाला खजुराहो नृत्य महोत्सव की एक ऐसी अनुषांगिक गतिविधि है जिसमें भारतीय नृत्य शैलियों के श्रेष्ठ गुरुओं के साथ शिष्यों का संवाद होता है। गुरुजन इस दौरान व्याख्यान सह प्रदर्शन करते हैं। इसी क्रम में लयशाला की दूसरी सभा में गुरुवार को सुप्रसिद्ध नृत्यांगना और पंडित बिरजू महाराज की पुत्री ममता महाराज कालका बिंदादीन घराने की खुबियों को बता रहीं थीं। इसे कथक के लखनऊ घराने के नाम से भी जाना जाता है। उन्होंने बताया कि बिरजू महाराज ने अपने पिता अच्छन महाराज चाचा लच्छू महाराज और शंभू महाराज से जो सीखा उसमें अपना जोड़कर उसे और समृद्ध किया। एक जमाने में सम पर आने के चलन गिने चुने थे लेकिन बिरजू महाराज ने सम पर आने के कई तरीके निकाल दिए। केवल धा पर पैर पटक कर ही नहीं बल्कि आंखों के चलन गर्दन की जुंबिश से भी सम पर आया जा सकता है ये बात बिरजू महाराज ने सिखाई। उन्होंने कहा की बिरजू महाराज एक श्रेष्ठ रचनाकार भी थे। भावों को वे गढ़ते थे। उन्होंने अपनी भतीजी और शिष्य रागिनी और यशस्विनी के जरिए बिरजू महाराज की रचनाओं पर डिमॉन्सट्रेशन भी दिया। उन्होंने उपज अंग भी दिखाया। इस अवसर पर मणिपुरी नृत्य शैली की प्रख्यात कलाकार कलावती देवी एवं डॉ. बिंबावती देवी ने भी इसी तरह डिमॉन्सट्रेशन देकर मणिपुरी नृत्य की विशेषताएं बताई। उन्होंने बताया कि वैष्णव संप्रदाय द्वारा १८वीं सदी में विकसित यह नृत्य अदभुत है। इसमें नर्तक ज्यादातर प्रेम प्रसंगों को प्रदर्शित करते हैं। ये कथाएं विष्णुपुराण भागवत गीत गोविंद से ली जाकर नृत्य में पिरोई गईं हैं। इस नृत्य में शरीर धीमी गति से चलता है। इसमें सांकेतिक भव्यता के दर्शन होते हैं।

00000


Thursday, February 22, 2024

विश्रामगंज रेंज की पहाड़ियों में चल रहीं हैं अवैध हीरा खदानें

  • वन कर्मियों और माफियाओं की सांठ-गांठ का खुलासा 
  • हीरों के लालच में खोखले किए जा रहे हरे-भरे जंगल

घने जंगल में इस तरह बेख़ौफ़ होकर माफिया चला रहे अवैध हीरा खदानें। 


पन्ना। जिले के उत्तर वन मंडल अंतर्गत वन परिक्षेत्र विश्रामगंज के जंगल और पहाड़ वन कर्मियों की सांठ-गांठ से हीरा माफियाओं के द्वारा दिन-रात खोखले किये जा रहे हैं। मीडिया टीम ने जंगलों में पहुंचकर देखा तो हैरान रह गए। चारों ओर गहरी खदानें नजर आ रही थीं। इतना ही नहीं जंगल में हे हीरा धारित चल की धुलाई व बिनाई का काम भी होता है। फिर भी आश्चर्य है कि वन महकमा इससे अनजान बना हुआ है।  

स्थानीय पत्रकार संजय सिंह बताते हैं कि पहले 18 फरवरी को विश्रामगंज रेंज के टगरा बीट अंतर्गत भियारानी के जंगल में पहुंचकर जीपीएस लोकेशन के साथ फोटो खींचकर अधिकारियों को भेजने पर कार्रवाई का आस्वाशन दिया गया, लेकिन कोई कार्यवाही नहीं हुई। सीएफ और सीसीएफ को सूचना के बाद भी जिम्मेदारों में कोई सुगबुगाहट दिखाई नहीं दी। 

मीडिया टीम 21 फरवरी को विश्रामगंज रेंज के मांझा बीट-बी में पहुंची, तो नजारा भियारानी के जंगल से ज्यादा गंभीर था। यहां चारों ओर जंगलों को खोखला किया जा रहा था। ताजी चाल धोकर बिनाई चल रही थी और कुछ भीगी चाल धोने की तैयारी चल रही थी। डीएफओ गर्वित गंगवार को कई बार फोन करने पर उनके द्वारा बड़ी मुश्किल से फोन उठाया गया, और कार्यवाई करवाने की बात कही गई। 

छतरपुर सीएफ संजीव झा ने भी कई बार फोन करने के बाद फोन उठाकर फोटो मंगवाई और कार्रवाई की बात कही। रेंजर नितिन राजोरिया के द्वारा तत्काल मौके पर डिप्टी रेंजर सीताराम साहू को भेजा गया। जिनके द्वारा मौके पर पहुंचकर बीट गार्ड राकेश बागरी को कई बार फोन किया गया, लेकिन वह आने को तैयार नहीं हुए। जबकि चंद कदमों की दूरी पर वह प्लांटेशन का काम करवा रहे थे। 


डिप्टी रेंजर सीताराम साहू को मौके पर दर्जन भर से अधिक नई खदानें दिखाई गई, जिनके द्वारा बीट गार्ड को निर्देश देकर कार्रवाई का आस्वाशन दिया गया , लेकिन शाम तक कोई कार्रवाई नहीं हुई। बीट गार्ड द्वारा मीडिया कर्मियों के फोन नहीं उठाए गए। बाद में पिछली डेट पर एक पीओआर काटने की जानकारी प्राप्त हुई है। लेकिन मौके पर दर्जन भर से अधिक और आस-पास सैकड़ा भर से अधिक अवैध हीरा खदानें संचालित होना पाया गया है। इसके साथ ही आस-पास सागौन के पेड़ों की कटाई भी हुई है। इसके अलावा सरकोहा, रानीपुर सर्किल अंतर्गत चौरई की भठिया में भारी अवैध हीरा उत्खनन देखा जा रहा है। पहाड़ी के नीचे सागौन की कटाई और पहाड़ी के ऊपर हीरे की खुदाई अंधाधुंध तरीके से चल रही हैं।

मांझा बीट- बी में चल रही अवैध हीरा खदानों के मामले में बीट गार्ड राकेश बागरी की भूमिका संदिग्ध बताई जा रही है। क्योंकि डिप्टी रेंजर सूचना मिलते ही वन कर्मियों के साथ मौके पर पहुंच गए, लेकिन चंद कदमों की दूरी पर उपस्थित बीट गार्ड बार-बार फोन करने पर भी नहीं पहुंचे। वहीं कुछ लोगों के द्वारा बीट गार्ड की मिली भगत से हीरा खदानें संचालित होने की बात कही गई है, जिसकी जांच और कार्रवाई आवश्यक है।

00000

धरोहर की धरती पर उल्लास भरते नृत्य

  • खजुराहो नृत्य महोत्सव ( Khajuraho Dance Festival ) के दूसरे दिन भी जमा रंग


खजुराहो। दुनिया भर में अपने सौंदर्य के लिए प्रसिद्ध खजुराहो के मंदिर इस बासंती और फगुनाते मौसम में फुले नहीं समा रहे। ये मंदिर हमारी अमूल्य धरोहर हैं, पुरातन वैभव से लकदक खजुराहो की भावभूमि पर नृत्य महोत्सव एक नई उमंग और उल्लास भर रहा है। ले के साथ घुंघरुओं का कलरव एक अलग ही स्वाद जागता है। आज दूसरे दिन भी विविध नृत्य शैलियों का कमाल देखने को मिला। शेंकी सिंह के कथक से लेकर सायली काने, अरूपा गायत्री होती हुई मनाली देव तक सभी ने अपनी नृत्य प्रस्तुतियों से खूब रंग भरे।

समारोह के दूसरे दिन की शुरुआत  पद्मविभूषण पंडित बिरजू महाराज के शिष्य शेंकी सिंह के कथक नृत्य से हुई। उन्होंने पंडित बिरजू महाराज द्वारा रचित एवं स्वरबद्ध गणेश वंदना से  आगाज किया । राग यमन के सुरों में भीगी और भजनी ठेके में लिपटी हुई इस प्रस्तुति में शेंकी सिंह ने नृत भावों से भगवान गणेश को साकार करने की कोशिश की। इसके पश्चात उन्होंने तीनताल में शुद्ध नृत्य पेश किया। इसमें उन्होंने कुछ बंदिशें, परमेलु और तिहाइयों की सधी हुई प्रस्तुति दी। उन्होंने पैरों का काम भी सफाई से दिखाया। नृत्य का समापन उन्होंने गजल - "आज उस शोख की चितवन को बहुत याद किया " पर नृत्याभिनय से किया। दादरा ताल में निबद्ध ये गजल मिश्र किरवानी के सुरों में पगी हुई थी। शेंकी ने अपने नृत्य अभिनय से इस गजल की रूमानियत को बखूबी पेश किया। उनके साथ उत्पल घोषाल ने तबले पर अनिल कुमार मिश्रा ने सारंगी पर, और जयवर्धन दधीचि ने गायन में साथ दिया।

आज की दूसरी प्रस्तुति में पुणे से तशरीफ लाई सयाली काणे और उनकी डांस कंपनी कलावर्धिनी के साथियों ने भरतनाट्यम की प्रस्तुति दी। अरुंधति पटवर्धन की शिष्या सायली ने हरिहर नामक पुष्पांजलि की प्रस्तुति से अपने नृत्य का शुभारंभ किया। दूसरी प्रस्तुति में उन्होंने अर्धनारीश्वर पर मनोहारी नृत्य किया। शिव के अर्धनारीश्वर अवतार के बारे में पौराणिक कथा प्रचलित है कि एक बार माता पार्वती ने भगवान शिव से प्रार्थना की कि उन्हें शिव में ही समाहित होना है और वो उन्हें ऐसी अनुमति दें। उस समय शिव जी ने पार्वती माता  की यह प्रार्थना स्वीकार की और अर्धनारीश्वर स्वरूप का अवतरण हुआ। सायली और साथियों ने अपने नृत्य अभिनय से अर्धनारीश्वर को बखूबी साकार किया। "आराध्यमि सततम" इस श्लोक के विविध खंडों को लेकर किया गया यह नृत्य अदभुत रहा। राग कुमुदक्रिया और रूपक ताल में सजी दीक्षितार की रचना रसिकों को मुग्ध कर गई।



अगली पेशकश में उन्होंने नवरस श्लोक पर नृत्य प्रस्तुति दी। रामायण से ली गई कथाओं को इस नृत्य में बखूबी पिरोया गया था। राग मालिका में सजी दीक्षितार की इस रचना पर सायली और साथियों देह गतियों और भावों से नव रसों को रसिकों के समक्ष रखा। नृत्य का समापन उन्होंने पारंपरिक तिल्लाना से किया। राग रेवती और आदि ताल में निबद्ध महाराजा पुरसंतानम की रचना में सभी साथियों ने देवी काली के स्वरूपों को साकार करने की कोशिश की। इस प्रस्तुति में सायली के साथ अनुजा हेरेकर, ऋचा खरे, सागरिका पटवर्धन, प्राची, संपदा कुंटे,मुग्ध जोशी, और भक्ति पांडव ने नृत्य में सहयोग दिया। जबकि गायन में विद्या हरी, श्रीराम शुभ्रमण ने मृदंगम पर वी अनंतरामण ने वायलिन पर और अरुंधति पटवर्धन ने नतवांगम पर साथ दिया।

आज की तीसरी प्रस्तुति में भुवनेश्वर से आईं अरूपा गायत्री पांडा का ओडिसी नृत्य हुआ। उन्होंने नृत्य की शुरुआत कालिदास रचित कालिका स्तुति अलगिरी नंदिनी से की। इस रचना में नृत्य कोरियोग्राफी गुरु अरुणा मोहंती की थी। जबकि संगीत रचना विजय कुमार जैना की थी। रिदम कंपोजिशन वनमाली महाराणा और विजय कुमार पारीक का था । अरूपा गायत्री ने इस प्रस्तुति में दुर्गा के विविध रूपों को अपने नृत भावों में पिरोकर दर्शकों के समक्ष रखा।

उनकी अगली प्रस्तुति मधुराष्टकम की थी। कृष्ण की भक्ति में बल्लभाचार्य जी द्वारा रची गई रचना नयनं मधुरं हसितं मधुरम्। हृदयं मधुरं गमनं मधुरं,मधुराधिपतेरखिलं मधुरम्  में कृष्ण के स्वरूप उनकी सुंदरता का गुणगान है। अरूपा गायत्री ने इसे नृत भावों के जरिए बड़े ही सलीके से पेश किया । कृष्ण की शिशु लीलाएं, माखन चोरी, कालिया मर्दन रास होली सहित तमाम चीजों को अरूपा गायत्री ने पेश किया। इस प्रस्तुति में कोरियोग्राफी पद्मश्री पंकज चरण दास की थी। जबकि नृत्य निर्देशन अरुणा मोहंती का था। संगीत हरिहर पांडा का रहा। अरूपा गायत्री के साथ गायन में सत्यव्रत काथा ने सहयोग किया। जबकि मर्दल पर रामचंद्र बेहरा,वायलिन पर अग्निमित्र बेहरा बांसुरी पर धीरज पांडे और सितार पर प्रकाशचंद्र मोहपात्रा ने साथ दिया।

आज की सभा का समापन मुंबई से आई मनाली देव और उनके समूह द्वारा प्रस्तुत कथक नृत्य से हुआ। मनाली और उनके साथियों ने गणेश वंदना से अपने नृत्य का शुभारंभ किया । राग भीमपलासी में निबद्ध रचना  - श्रवण सुंदर नाम गणपति" पर पूरे समूह ने भक्तिपूर्ण अंदाज में नृत्य पेश कर गणपति को साकार करने का प्रयास किया। इसके पश्चात मनाली ने साथियों सहित तीनताल में शुद्ध नृत्य में कथक के तकनीकी पक्ष को सबके सामने रखा। अगली पेशकश में मनाली जी ने रूपक ताल में निबद्ध राम का गुणगान करिए  भजन पर एकल प्रस्तुति के माध्यम से राम के विविध पक्षों को नृत भावों से साकार किया। 

नृत्य का समापन राग सोहनियर तीनताल में निबद्ध तराने के साथ हुआ। इस प्रस्तुति में प्रिया देव, जुई देव, अक्षता माने, मिताली इनामदार, दिया काले, अदिति शहासने ने नृत्य में साथ दिया जबकि तबला और पढंत पर थे पंडित मुकुंदराज देव। गायन में श्रीरंग टेंबे, तबले पर रोहित देव, एवं बांसुरी पर सतेज करंदीकर ने साथ दिया। कार्यक्रम का संचालन प्रख्यात कलासमीक्षक विनय उपाध्याय ने किया।

00000


Tuesday, February 20, 2024

बीमारियों से मुक्ति के लिए जहरमुक्त खेती जरूरी

  • प्राकृतिक खेती पर किसान सखी प्रशिक्षण आयोजित
  • कृषि वैज्ञानिकों ने प्राकृतिक खेती की दी जानकारी 


पन्ना। बीमारियों से मुक्ति के लिए मौजूदा समय जहरमुक्त खेती बेहद जरूरी हो गया है। यही वजह है कि शासन भी प्राकृतिक खेती को बढ़ावा दे रहा है। प्राकृतिक खेती का मुख्य उद्देश्य सूक्ष्मजीवों का मिट्टी में बढ़ावा देना है, ताकि भूमि की उर्वरा शक्ति में वृद्धि हो सके। 

पन्ना जिले में स्वयं सेवी संस्था समर्थन, राज्य ग्रामीण आजिविका मिशन एवं कृषिविके के संयुक्त तत्वाधान में किसान सखी का प्रशिक्षण आयोजित किया जा रहा है। कृषि विज्ञान केन्द्र के परिसर में किसान सखियो को प्राकृतिक खेती एवं भंडारण, मृदा परीक्षण पर वैज्ञानिको के माध्यम से सैद्धांतिक एवं व्यावहारिक प्रेक्टिकल ज्ञान से अवगत कराया जा रहा है।  

केन्द्र के वैज्ञानिक डा. पीएन त्रिपाठी, डा आर. के. जायसवाल,  राज्य ग्रामीण आजीविका मिशन से शुशील शर्मा, समर्थन से ज्ञानेन्द्र तिवारी ने प्रशिक्षण दिया। इस प्रशिक्षण में ग्राम पंचायत बड़गड़ी, जरधोवा एवं बराछ से 48 किसान सखी उपस्थिति रहीं। 

मिटटी की सेहत सुधरेगी तो हम सब स्वास्थ्य रहेंगे, इसके लिये जीवामृत एवं घनजीवामृत, नीमास्त्र,आग्नसास्त्र बनाने की विधि बताई गई। किसान गौ आधारित खेती करके खेती की लागत को कम कर सकता है। यह जहरमुक्त खेती की भी शुरूआत करना है। जहरमुक्त खेती से हम मानव समाज भी बीमारी से मुक्त होंगे। 

मिट्टी, पानी स्वस्थ होगा तो फसल उत्पादन एवं खाद्य पदार्थ भी शुद्ध होगा।  प्राकृतिक खेती में किसान सखी की भूमिका प्रमुख रहेगी। इसके लिये समर्थन लगभग 500 किसान सखी के प्रशिक्षण केबीके एवं राज्य ग्रामीण आजिविका मिशन के मार्गदर्शन में कर रहा है।

00000


Monday, February 19, 2024

पद्म विभूषण और पद्मश्री कलाकारों की ओजस्वी प्रस्तुतियों से गुंजायमान होगा 50वां खजुराहों नृत्य समारोह

  • खजुराहो में 20 फरवरी से शुरू होगा शास्त्रीय नृत्य समागम, 26 फरवरी को होगा समापन,"कथक कुंभ" में 1500 से अधिक कलाकार बनायेंगे गिनीज वर्ल्ड रिकॉर्ड


विश्वविख्यात शास्त्रीय नृत्य उत्सव 'खजुराहो नृत्य समारोह' का 50वां संस्करण पद्म विभूषण और पद्मश्री कलाकारों की ओजस्वी प्रस्तुतियों से गुंजायमान होगा। पद्मश्री रंजना गौहर की मनमोहक कथक प्रस्तुति के साथ 20 फरवरी को शुरू हुआ यह सफर 26 फरवरी को पद्म विभूषण डॉ. सोनल मानसिंह के नाट्य कथा 'मीरा' पर समाप्त होगा। विश्व धरोहर स्थल- खजुराहो मंदिर समूह में भारतीय शास्त्रीय नृत्य शैलियों पर केंद्रित यह देश का शीर्षस्थ समारोह है। सभी प्रमुख शास्त्रीय नृत्य शैलियों जैसे भरतनाट्यम, ओडीसी, कथक, मोहिनीअटेम में प्रसिद्ध और नामचीन कलाकार शास्त्रीय नृत्यों के समृद्ध सांस्कृतिक रूप को प्रस्तुत करेंगे।

संस्कृति विभाग के अंतर्गत उस्ताद अलाउद्दीन खान संगीत एवं कला अकादमी द्वारा पर्यटन विभाग, भारतीय पुरातत्व सर्वेक्षण और मध्य प्रदेश संस्कृति परिषद के संयुक्त प्रयासों से महोत्सव का आयोजन किया जा रहा है। स्वर्ण जयंती वर्ष को अविस्मरणीय बनाने के लिए आगंतुक भव्य समारोह में प्रत्येक कदम के साथ संस्कृति और दिव्यता की लय का अनुभव करेंगे।

समारोह के पहले दिन पद्मश्री रंजना गौहर और साथियों द्वारा ओडिसी समूह की मनमोहक प्रस्तुति के साथ समारोह की शुरुवात होगी। साथ ही दिल्ली की सुधाना शंकर के भरतनाट्यम नृत्य की ओजस्वी प्रस्तुति मंदिर की शिलाओं को सजीव कर उठेगी। दूसरे दिन शेंकी सिंह द्वारा कथक, पुणे की कलावर्धनी नृत्य कंपनी की सयाली काने द्वारा भरतनाट्यम समूह नृत्य, भुवनेश्वर की अरूपा गायत्री पांडा द्वारा ओडिसी और  श्रीगणेश नृत्य कला मंदिर मुंबई की मनाली देव द्वारा कथक समूह नृत्य की प्रस्तुति दी जाएगी। समारोह का तीसरा दिन  पद्म श्री पुरु दाधीच, हर्षिता धाधीच और समूह के कथक समूह नृत्य के नाम रहेगा। इसके साथ साक्षी शर्मा द्वारा कथक, दिल्ली की कस्तूरी पटनायक द्वारा ओडिसी समूह नृत्य, केरल के विद्या प्रदीप द्वारा मोहिनी-अट्टम की प्रस्तुति दी जाएगी।

समारोह के चौथे दिन 23 फरवरी को पद्मश्री नलिनी कमलिनी और समूह द्वारा कथक समूह नृत्य, मौमिता घोष वत्स द्वारा ओडिसी नृत्य, मार्गी मधु और समूह द्वारा कोच्चि कुडिअट्टम त्रयी, सुचित्रा हरमलाकर और साथी द्वारा कथक समूह नृत्य और रोशाली राजकुमार और समूह द्वारा मणिपुरी समूह नृत्य प्रस्तुत किया जाएगा। पांचवे दिन आराधना ओडिसी डांस फाउंडेशन के पंचानन भुआन द्वारा छाऊ ओडिसी समूह नृत्य, अमीरा पाटनकर और समूह द्वारा कथक नृत्य, राजश्री होल्ला और रेखा सतीश द्वारा कुचिपुड़ी युगल और अनु सिन्हा और समूह द्वारा कथक समूह नृत्य प्रस्तुत किया जाएगा।

समारोह के छठवें दिन 25 फरवरी को पुणे के प्रेरणा देशपांडे द्वारा कथक, दिल्ली के पंडित राजेंद्र गंगानी द्वारा एकल कथक, बैंगलोर की नव्या नटराजन द्वारा भरतनाट्यम नृत्य और विधि नागर और साथियों द्वारा कथक समूह नृत्य प्रस्तुत किया जाएगा। महोत्सव का समापन पद्म विभूषण डॉ. सोनल मानसिंह के निर्देशन में नाट्य कथा 'मीरा' के साथ होगा। साथ ही राजश्री वरियार द्वारा भरतनाट्यम नृत्य, यास्मीन सिंह और समूह द्वारा कथक समूह नृत्य, कृपा फड़के और साथियों द्वारा मैसूर भरतनाट्यम समूह नृत्य और अनुराधा सिंह द्वारा कथक की मनमोहक प्रस्तुति होगी।

नृत्य समारोह में महासमागम में शास्त्रीय नृत्य कला और संस्कृति पर आधारित विभिन्न गतिविधियां भी आकर्षण का केंद्र रहेंगी। भारतीय नृत्य शैलियों और कलायात्रा को प्रदर्शित करने के लिए नेपथ्य सहित विभिन्न गतिविधियाँ, कलावार्ता - कलाकारों के बीच संवाद, हुनर - देशज ज्ञान और कला परंपरा का मेला, वरिष्ठ चित्रकार शंकर शिंदे के कला अवदान पर आधारित चित्र प्रदर्शनी प्रणति, समष्टि: टेराकोटा और सिरेमिक राष्ट्रीय प्रदर्शनी-कार्यशाला,  वर्तनी: अंतर्राष्ट्रीय छापाकला, लयशाला: उत्सव के दौरान महान गुरुओं के साथ शिष्यों का संगम और कार्यशाला होगी।

समारोह के 50वें वर्ष को खास और यादगार बनाने के लिए "कथक कुंभ" का आयोजन किया जा रहा है। लगभग 1500 से अधिक कलाकार 1800 कथक नृत्य की समवेत प्रस्तुति के साथ नया "विश्व रिकॉर्ड" बनाएंगे। इसके साथ ही पर्यटकों के लिए विशेष आकर्षण के रूप में स्काई डाइविंग फेस्टिवल का आयोजन 20 से 25 फरवरी तक किया जा रहा है। यहाँ साहसिक प्रेमी 10 हजार फीट की ऊंचाई से खजुराहो के पुरातात्विक उत्कृष्टता के विरासत प्रतीकों को निहार सकेंगे। साथ ही कैंपिंग, विलेज टूर, वॉक विद पारधी, ई-बाइक टूर, सेगवे टूर और वॉटर स्पोर्ट्स भी पर्यटकों को नया अनुभव देने के लिए तैयार होंगे।

00000

Saturday, February 17, 2024

हमारा पानी, हमारा प्रबंधन को बनाना होगा जन आन्दोलन

  • सामुदायिक पहल से जल स्रोतों का हो रहा प्रबंधन
  • सामुदायिक सहभागिता से ही आयेगा स्थायित्व 


पन्ना। स्वयंसेवी संस्था समर्थन स्थानीय सरकार अर्थात ग्राम सभा के मजबूती से लोकतंत्र की स्थापना पर विश्वास करती है। स्थानीय सामुदाय एवं लोगो की क्षमता बढ़ेगी,ज्ञान बढ़ेगा तो व्यावस्था मजबूत होगी। मध्यप्रदेश में पंचायतराज एवं ग्राम स्वाराज अधिनियम के मूल में ग्राम स्वाराज की अवधारण को लोग ही मूर्तरूप एवं विश्वास के साथ अपना सकते हैं। अधिनियम के अनुसार ग्राम पंचायत शसक्त इकाई के रूप में काम कर रही है। 

सामुदाय की अपेक्षा के अनुरूप पंचायत समय-समय पर खरी भी उतरी हैं।  लेकिन सामुदाय का सहयोग आज भी आपेक्षित है। संस्था लगातर इस बात के लिये पंचायत एवं ग्राम सभा एवं स्थानीय संगठनो से अपील कर रही है कि अपने पुराने जलस्रोतो को सुरक्षित रखें, वे हमारी धरोहर एवं प्यास बुझााने वाले स्रोत हैं। 

संस्था की सोच है कि हमारी पुरानी संरचनाए जैसे कुऑं, बाउड़ी, झरने, नदी, तलाब, बीहर, चोपड़ा, हैन्डपम्प जो बन चुके हैं, उसमें हमारी पहचान जुड़ी है, उसका संरक्षण सामुदाय एवं पंचायत मिलकर करे। संस्था ने ये पहल 40 ग्राम में शुरू किया है, मामूली रकम में ही सुधार होने से ग्राम पंचायते भी आगे आ रही हैं। वाटर बाडी रिपेयर से पानी शुद्ध मिलेगा, जल त  टिकाउ होगा, बीमारी नहीं होगी ।


ग्राम पंचायत दिया, रानीगंजपुरा, जरधोवा, सुन्दरा सहित लगभग 52 गांव में जल स्रोत के सरंक्षण एवं निरंतरता के लिये ग्राम सभा में प्रसताव डालकर क्रियान्यन चालू कर दिया गया है। ग्रामीण कहते हैं जो कुआं एवं बाउली बनी थी, वो किसी न किसी समाज की थी जो पूर्वजो की याद भी दिलाती है। उसका संरक्षण करना हमारा स्वयं का दायित्व है।

जल धरोहरें हमारी विरासत हैं। समर्थन के कार्यकर्ता आशीष विश्वास, कमल, चाली, जलमित्र लगातर समझाते हैं। पानी के बिना हमारा जीवन सूना है,पानी पर हम हमेशा आत्मनिर्भर रहे हैं। इसकी सुरक्षा समाज एवं हम लोग मिलकर करेंगे।

00000

खेती में घाटे की भरपाई करने खेतों में लगायें यह पेड़

  • खेती अब लाभ का नहीं घाटे का धंधा बन चुका है। ऐसी स्थिति में इस घाटे की भरपाई व भविष्य की जरूरतों के लिए चंदन एक बेहतर विकल्प बन सकता है। चंदन को सबसे ज्यादा मुनाफा देने वाला पेड़ माना जाता है। इस पेड़ की खेती से किसान कुछ सालों में आसानी से लाखों रुपये कमा सकते हैं।

चंदन का पौधा ( फोटो - बाबूलाल दाहिया )

।। बाबूलाल दाहिया ।।

केंद्र की सरकार ने जब चार पांच साल पहले कहा था कि "हम 2022 तक किसानों को खेती में दूना लाभ देगे।" तो एक ओर जहां किसानों की बाछें खिल गई थीं कि  " उनके 18-19 रुपये किलो बिकने वाले गेहू धान अब 35-40 रुपये में बिकने लगेंगे ?" वही कृषि कल्याण विभाग से जुड़े कृषि बैज्ञानिक भी कुछ इसी तरह दूना लाभ का अलाप शुरू कर दिए थे।

सन 22 से आंगे बढ़ते हुए हम सन 24 में पहुंच गए हैं। खेती में दूना लाभ तो नहीं मिला, न मिलेगा ही। क्योकि सरकार अगर अनाज का मूल्य बढ़ाती भी है तो बस वही पहले जैसा ही 1-2 रुपये सरकारी खरीदी का मूल्य बढ़ जाता है ? अलबत्ता खाद ,बीज, डीजल अवश्य महंगे हो गए हैं इसलिए जुताई-सिंचाई आदि सब मिलाकर कृषि लागत बढ़ गई है। पर एक खेती अवश्य है जिसे कुछ थोड़े से भू-भाग में अपना लेने से 12-13 वर्षो में बिना कोई लागत किसानों को एक सम्मान जनक लाभ मिल सकता है। वह है चन्दन के पौधे उगाना।

अगर किसान घर के आस-पास चन्दन के 8-10 पौधे भी तैयार कर लिए तो भविष्य की योजना के लिए लाभकारी हो सकता है। क्यो कि यदि बैंक में भी रुपये जमा किए जाएं तो जिस प्रकार मुद्रा स्फीत बढ़ रही है और रुपये की क्रय शक्ति उत्तरोत्तर घट रही है तो जरूरी नही कि 10-12 वर्ष तक आज के जमा 100₹ की क्रय शक्ति अभी के बराबर ही बनी रहे ?

किन्तु अगर किसी को अभी हाल में जन्म लिए अपनी बेटी बेटे के शिक्षा और विवाह आदि के लिए 20 वर्ष बाद के खर्च की योजना बनाना है तो रुपये जोड़ कर धरने के बजाय 4-5 चन्दन के पेड़ लगा देना पर्याप्त रहेगा। वह 20 वर्ष में इतने बड़े हो जाएंगे जिन्हें बेच किसान आराम से उनका विवाह सम्पन्न कर सकता है। चन्दन की खेती केलिए मद्धय वर्षा और भरपूर धूप की आवश्यकता होती है अस्तु मध्यप्रदेश का मौसम उसके लिए उपयुक्त है।

चन्दन का पौधा अन्य पौधों की तरह ग्रोथ नही करता।क्यो कि इसकी जड़ें धरती से उस तरह पोषक तत्व नही ले पाती जिस तरह अन्य पेड़ । इसलिए इसे कतार से कतार 15 और पौधे से पौधा 12 फीट की दूरी पर जब  रोपा जाय तो बीच मे 6 फीट की दूरी पर एक होस्ट  यानी यजमान पौधे के रूप में अमरूद, सीताफल य बकायन का पौधा भी लगा दिया जाय। क्योकि  इन पौधों की जड़ें जब जमीन को तोड़ेंगी तो चन्दन का पौधा भी पोषक तत्व लेने के लिए वही अपनी जड़ें पहुँचा देगा। लेकिन उसे जल भराव के बजाय उचहन भूमि में ही लगाया जाना चाहिए।

लगाने का महीना जुलाई ही अच्छा माना जाता है । पर उसके पहले अप्रेल मई में 1 गुणे 1  हाथ गहरे गड्ढे खोद उन्हें धूप देना अच्छा रहता है। यदि बलुहन मिट्टी न, हो, तो कम्पोस्ट और बराबर- बराबर मिट्टी मिलाते समय कुछ रेत भी मिलाना उपयुक्त रहेगा। लेकिन पौधा एक फीट से कम का न हो। वर्ना पौधे के मर जाने की सम्भावना अधिक रहती है।

चन्दन की डालों को तीन साल तो नही छांटना चाहिए।पर उसके बाद अनावश्यक डालों की छटाई कर देने से पौधा मोटा होकर सीधा बढ़ता है। जब पौधा 5 वर्ष का हो जाय तो सिंचाई सिर्फ गर्मी में करनी चाहिए । ठंडी आदि ऋतु में नही। 12 से 15 वर्ष में पेड़ परिपक्व हो जाता है। लेकिन जब वह 15 वर्ष का हो जाय तो सिंचाई बिल्कुल नही करनी चाहिए। क्यो कि उससे लाल रंग वाली साल बनने में बाधा पहुँचती है।

चन्दन की तैयार लकड़ी के तीन भाग होते हैं। और उसी के अनुसार उसका - अलग अलग मूल्य का भी निर्धारण होता है।वह है

1-- ऊपरी छिलका

2-- छिलके के बाद की सफेद लकड़ी।

3--  साल पड़ी हुई बीच की लाल रंग की लकड़ी

साल वाली बीच की लकड़ी में तेल निकलता है जिसका मूल्य  3 से 4 लाख रुपये प्रति लीटर होता है । इसलिए  तीनो प्रकार की लकड़ी की एक पेड़ में मात्रा और अलग - अलग मूल्य लगभग इस प्रकार होते हैं।

1-- ऊपरी पर्त की लकड़ी की मात्रा 30 से 60 किलो मूल्य 50₹ प्रति किलो ।

2--  बाद की कच्ची सफेद लकड़ी की मात्रा 20 से 40 किलो मूल्य 600 से 800₹  प्रति किलो।

3-- पौधे के मध्य की लाल रंग की साल वाली लकड़ी की मात्रा 12 से 20 किलो और मूल्य 6000 से 12000 रुपये प्रति किलो। चंदन की लकड़ी में सुगंध 8 साल के बाद ही आती है। उसकी इस लकड़ी को सन्दल इत्र बनाने वाली य डाबर आदि कम्पनी खरीदती हैं।

इस तरह चन्दन के एक पौधा की तीन प्रकार की लकड़ी से ही अकेले लाखों रुपये कमाए जा सकते है। इसकी लकड़ी जड़ समेत खोद कर निकालने के बाद आरी से काट ली जाती है । क्यो कि जड़ भी सुगन्धित होती है।  सरकार ने चन्दन की लकड़ी से प्रतिबन्ध हटा दिया है। बस उसे लगाते समय पटवारी से खसरा में लगे हुए पेड़ दर्ज करा लें और खसरे की नकल ले लें वा काटते समय वन विभाग से मंजूरी लेलें।  इस तरह से चन्दन के पौधे खेत की मेंड़ ,घर के पास के बाड़ य बगीचों में लगाए जाकर सम्मान जनक पैसे कमाए जा सकते हैं।

00000


Friday, February 16, 2024

लघु वनोपजों के निर्यात के लिये आदिवासी बहुल जिलों को जल्दी मिलेगा जैविक प्रमाण-पत्र

 


भोपाल। लघु वनोपजों के निर्यात को बढ़ावा देने के लिये आदिवासी बहुल जिलों को जल्द ही जैविक प्रमाण-पत्र मिलेगा। वन मंत्री नागरसिंह चौहान ने इसके लिये सभी औपचारिक प्रक्रियाएं पूरी करने के निर्देश दिये हैं। उन्होंने कहा कि तेन्दूपत्ता संग्राहकों को सामाजिक सुरक्षा देने के लिये उन्हें संबल योजना में शामिल किया गया है।

तेंदूपत्ता संग्रहण से जुड़े जनजातीय परिवारों की आर्थिक सुरक्षा के लिये तेंदूपत्ता संग्रहण दर 3000 रूपये प्रति मानक बोरा से बढ़ा कर 4000 रूपये प्रति मानक बोरा कर दी गई है। वर्ष 2003 में संग्रहण दर 400 रूपये प्रति मानक बोरा थी। इस निर्णय के परिणामस्वरूप संग्राहकों को लगभग 560 करोड़ रूपये का संग्रहण पारिश्रमिक के रूप में वितरित किया गया है।

संग्रहण पारिश्रमिक के साथ-साथ तेन्दूपत्ता के व्यापार से प्राप्त शुद्ध लाभ भी संग्राहकों के साथ बांटा जाता है। यह लाभांश भी बढ़ाया जा रहा है। वर्ष 2003 में जहाँ शुद्ध लाभ का 50 प्रतिशत अंश संग्राहकों को बोनस के रूप में वितरित किया जाता था, अब 75 प्रतिशत भाग बोनस के रूप में संग्राहकों को वितरित किया जा रहा है। वर्ष 2002-03 में वितरित बोनस की राशि 5.51 करोड़ रूपये थी जबकि वर्ष 2022-23 में वितरित बोनस की राशि 234 करोड़ रूपये है।

वर्तमान में लगभग 15 लाख परिवारों के 38 लाख सदस्य लघु वनोपज संग्रहण कार्य से जुड़े हैं। इनमें 50 प्रतिशत से ज्यादा जनजातीय समुदाय के हैं। उनहें बिचौलियों के शोषण से बचाने और उनकी संग्रहित लघु वनोपज का लाभ दिलाने के लिए सहकारिता का त्रिस्तरीय ढांचा बनाया गया है। इसमें प्राथमिक स्तर पर 15.2 लाख संग्रहणकर्ताओं की सदस्यता से बनायी गयी 10 प्राथमिक वनोपज सहकारी समितियां है। द्वितीय स्तर पर 51 जिलों में जिला स्तरीय यूनियन तथा शीर्ष स्तर पर म.प्र. राज्य लघु वनोपज संघ कार्यरत है।



कोरोना काल में भी तेन्दूपत्ता संग्राहकों को परिश्रमिक 397 करोड़ रूपये एवं 415 करोड़ रूपये भुगतान किया गया। पिछले 10 सालों के 2000 करोड़ रुपये संग्राहकों को (बोनस) प्रोत्साहन पारिश्रमिक के रूप में दिये जा चुके हैं।

तेन्दूपत्ता श्रमिकों के बच्चों की शिक्षा के लिये 2011 में "एकलव्य वनवासी शिक्षा विकास योजना" प्रारंभ की गयी। मेधावी बच्चों को सहायता राशि दी जाती है। अभी तक 15,026 छात्रों को 14 करोड़ रूपये से अधिक की सहायता राशि दी जा चुकी है।

वर्ष 2004-05में लघु वनोपज प्रसंस्करण एवं अनुसंधान केंद्र बरखेड़ा पठानी की स्थापना की गई थी। इसे लघु वनोपज आधारित 840 औषधियां बनाने का लाईसेंस मिला है और 350 औषधियों का निर्माण किया जा रहा है।

लघु वनोपज संग्राहकों को वनोपज का उचित मूल्य दिलाने हेतु राज्य शासन द्वारा 32 प्रमुख लघु वनोपजों का न्यूनतम समर्थन मूल्य भी घोषित किया गया है ताकि यदि बाजार में उचित मूल्य न हो तो संग्राहक को वनोपज का उचित मूल्य मिल सके।

लघु वनोपज संग्राहकों की आय बढ़ाने के लिये प्रसंस्करण पर भी ध्यान दिया जा रहा है तथा प्रदेश में प्रधानमंत्री वन विकास योजना के तहत 126 वनधन केन्द्रों की स्थापना की स्वीकृति दी जा चुकी है। इनमें से लगभग 70 वन धन केन्द्रों द्वारा प्रसंस्करण उत्पाद निर्माण का कार्य भी शुरू कर दिया गया है।

पेसा कानून में 20 जिलों की 268 ग्राम सभाओं में वर्ष 2022-23 से पेसा नियमों के तहत संग्रहण के संकल्प प्राप्त हुए तथा संग्रहण वर्ष 2023-24 में 13363 मानक बोरा तेंन्दूपत्ता संग्रहित किया जाकर 7.19 करोड़ रूपये का व्यापार किया गया। इस प्रकार प्रथम वर्ष के अनुभव से ग्राम सभाओं को लघु वनोपज व्यापार का अनुभव प्राप्त हुआ, तेंदुपत्ता संग्रहण एवं विपणन हेतु आत्मविश्वास मिला तथा इस वर्ष 229 ग्राम सभाओं द्वारा तेन्दूपत्ता संग्रहण का कार्य प्रारंभ हुआ।

00000

Wednesday, February 14, 2024

बेलिंन में बागन में बगरो बसंत है....




        

।। बाबूलाल दाहिया ।।

आज बसंत है परन्तु झरियार (वर्षा की झड़ी) एवं  बेलेन्टाइन डे के साथ - साथ ही आया है। रीति काल के कवियों ने बसंत की प्रसंशा में अनेक कविताएं लिखी हैं। पता नही बाग़ में वह उतरा या नहीं पर हमारे खेत में गेहूं के बगल में लगे सरसों में अवश्य अपने पूरे सबाब के साथ उतरा हुआ है। क्यों कि पूरा खेत ही पीला दिख रहा है। वसंत को ही विद्या की देवी कही जाने वाली सरस्वती का जन्मदिन भी माना जाता है और महाप्राण निराला जैसे महान कवि की जयंती भी।

परन्तु दिल्ली पंजाब आदि के आस - पास बसंत एक ऐसा साझी बिरासत का उत्सव बन कर उतरता है जो भारत भर में कौन कहे पाकिस्तान में भी मनाया जाता है। यहां तक की बसंत के दिन तो पाकिस्तान में पतंगें भी उड़ाई जाती हैं। यद्दपि जिस प्रकार अन्य धर्मो से नफरत करने वाले अब भारत में भी खूब हो गए हैं उसी कट्टरवाद की तरह पाकिस्तान में भी एक संकीर्ण कट्टर पंथ है जो अक्सर कहता रहा है कि " यह हिन्दुओं का त्यौहार है तो इसे पाकिस्तान में क्यों मनाया जाय ? " क्योकि हर सांप्रदायिकता अपनी विपरीत सांप्रदायिकता को हमेशा जीवन रस देती है।

लेकिन  समस्त समुदाय तो दकियानूस होता नही ? साथ ही जो परम्परा बन कर जन जीवन में रच बस जाती है वह एक बारगी  समाप्त भी तो नहीं होती ? पर इस परम्परा को साझी बिरासत बनाने का श्रेय जाता है 13वी सदी के एक नामाचीन सख्शियत (अमीर खुसरो) को। अमीर खुसरो ही भारत की वह सख्शियत हैं जिन्हें कब्बाली ग़ज़ल, मुकरियां (पहेलियां) हिन्दी के दोहे आदि लिखने का श्रेय जाता है।

अमीर खुसरो ने ही मृदङ्ग को दो टुकड़े में विभाजित कर सर्वप्रथम तबले का अविष्कार भी किया था जो आज शास्त्रीय संगीत का प्रमुख वाद्य है। पर उनके बसंत मनाने और फिर उसे परम्परा में ढल जाने का भी एक वाकया है। कहते हैं कि अमीर खुसरो के गुरू हजरत निजामुद्दीन ओलिया के भांजे का निधन हो जाने के कारण वह इतने दुखी हुए कि अपने सागिर्दों से हँसना बोलना तक बन्द कर दिया। बस दिन भर गुम सुम बैठे रहते। उनके इस चिंता से अमीर खुसरो भी चिंतित थे। उनने उन्हें सामान्य स्थित में लाने के अनेक उपाय किये पर सफल न हुए।

एक दिन जब अमीर खुसरो कालका जी नामक एक मंदिर की ओर से आरहे थे तो देखा कि वहां बसंत का मेला लगा हुआ है और लोग मंदिर में सरसों का फूल चढ़ा-चढ़ा कर  खूब खुशियां  मनाते हुए गीत गा रहे हैं ? अमीर खुसरो भी इस नजारे को देख भाव विभोर हो उठे । उनने फौरन (हिन्दवी एवं फारसी )के  मिले जुले शब्दों से कुछ रचना कर हाथ में फूलों से लदी सरसों की डाली ले अपने गुरू से मिलने चल पड़े तथा अपनी पीली पगड़ी को भी थोड़ा टेढ़ी कर लिया ।

जब वे अपनी मस्तानी चाल में सरसों के फूलों को लहराते निजामुद्दीन औलिया के पास पहुँचे और बसंत पर एक शेर पढ़ा तो उनके इस क्रिया कलाप को देख कई दिनों से गुम सुम बैठे औलिया मुस्करा दिए। फिर क्या था ? उनके शागिर्द बड़े प्रसन्न हुए और बसंत के दिन को हर साल रंग बिरंगी पतंग उड़ा कर खुसी मनाने लगे। बाद में इसी के साथ बसंत के कब्बाली गा कर खुसी मनाने का प्रचलन भी चल पड़ा। तब से यह पतंग उड़ाने का त्यौहार दिल्ली से होता भारत भर नही पाकिस्तान तक पहुँच गया और अब दोनों समुदायों  की साझी बिरासत बना हुआ है। एवं अमीर खुसरो तो जैसे उस साझी बिरासत के जनक ही हैं जिनने अपने अनेक रचनाओं में हिन्दुस्तान की उपमा जन्नत से करते हुए यहाँ के पेड़ पौधों नदियों और पशु पक्षियों पर अनेक रचनाए लिखी हैं ? उनकी एक पहेली

   एक थार मोती से भरा ।

   सबके सिर पर उलटा धरा।

तो हिन्दी की पहली रचना के रूप में उदाहरण स्वरूप भी प्रस्तुत की जाती है। हमारे देश में समय - समय पर आर्य ,शक, हूण, यवन, तुर्क ,मुगल आदि अनेक लोग आए। शुरू -शुरू में लड़ाइयां हुई पर मेल मिलाप के बाद जब दो संस्कृतियां लम्बे समय तक एक साथ चलती हैं तो एक दूसरे की रीति रिवाज परम्पराओं और भाषा का भी अदान प्रदान होकर घाल मेल होता है। एवं फिर बन जाती है एक (साझी संस्कृति ) जो कालांतर में साझी बिरासत का रूप भी ग्रहण कर लेती है।

इस साझी विरासत को हमारी बोली भाषा, गीत संगीत, खान पान, पहनावा  आदि सभी में स्पस्ट देखा जा सकता है। कहना न होगा कि कौन कब कहां से आया ?  इस संकीर्णता को एक तरफ रख आज की यह साझी बिरासत और भाई चारा ही देश के लिए जरूरी भी है।

00000

Monday, February 12, 2024

हर साल पूरी दुनिया में आखिर क्यों मनाया जाता है रेड हैंड डे ?

  • बच्चों के नैसर्गिक अधिकारों की सुरक्षा के साथ उनके सम्पूर्ण विकास हेतु उन्हें अच्छा माहौल और सुबिधा मिले ताकि बड़े होकर वे एक जिम्मेदार नागरिक बन सकें। बच्चों से जोखिम और खतरों का काम कराना अमानवीय ही नहीं समाज के लिए भी खतरनाक है। इसी बात को दृष्टिगत रखकर बच्चों के अधिकारों की सुरक्षा हेतु पूरी दुनिया में 12 फरवरी को रेड हैंड डे मनाया जाता है।

विकास संवाद पन्ना द्वारा रेड हैंड डे मनाया गया जिसमें बच्चों ने उत्साह के साथ भाग लिया। 

पन्ना। हर बच्चे में उसकी अपनी नैसर्गिक क्षमता और प्रतिभा बीज की भांति मौजूद होती है। यदि उसे अनुकूल वातावरण और सुबिधा मिले तो समय के साथ उसके भीतर की प्रतिभा प्रकट होने लगती है। यह बच्चा बड़ा होकर समाज को बेहतर बनाने में अपनी महत्वपूर्ण भूमिका निभाने में सक्षम हो पाता है। लेकिन यदि बच्चे को अनुकूल माहौल न मिले और वह गलत दिशा में ले जाया जाय तो यही बच्चा समाज के लिए घातक भी साबित हो सकता है। बच्चों के नैसर्गिक अधिकारों की सुरक्षा हेतु हर साल रेड हैंड डे मनाया जाता है। 

इस वर्ष भी विकास संवाद पन्ना द्वारा रेड हैंड डे मनाया गया। यह दिवस बच्चो कि सुरक्षा और सम्पूर्ण विकास के लिए जरुरी है, जिससे उनको शिक्षा के अवसर के साथ-साथ उनके स्वास्थ्य को भी ध्यान में रखा जा सके। सेना में भर्ती, जोखिम और खतरों के काम में बच्चो को लगाए जाने के विरोध में पूरे विश्व में विरोध स्वरूप 12 फरवरी को रेड हैंड डे मनाया जाता है।

कहने को तो आज हम अपने आपको अभी तक के मानव इतिहास का सबसे सभ्य और विकसित समाज मानते हैं। लेकिन दुनिया के एक बड़े हिस्से में हम अक्सर मानवता को शर्मसार कर देने वाली ऐसी छवियाँ देखते हैं, जिसमे बच्चे अपने मासूम हांथो में बंदूक, मशीनगन, बम जैसे विनासक हथियार को उठाए हुए बड़ो कि लडाईयों को अंजाम दे रहे हैं। विश्व के कई देशो में चल रहे आंतरिक उग्रवाद, हिंसक आन्दोलन, आतंकवाद गतिविधियों में बड़े पैमाने पर बच्चो का इस्तेमाल किया जा रहा है। इनमें से ज्यादातर को जबरदस्ती लड़ाई में झोंका जाता है। इस खूनी खेल में बच्चो को एक मोहरे के तौर पर शामिल किया जाता है, जिससे इस तरह के संगठन अपने कारनामों को आसानी से अंजाम दे सकें।  

एक अनुमान के मुताबिक आज पूरी दुनिया में लगभग 250000 बच्चो का इस्तेमाल विभिन्य शसत्र संघर्षो में हो रहा है। इनमें से भी करीब एक तिहाई संख्या लडकियों की है। दुनिया के जिन राष्ट्रों में यह काम प्रमुखता से हो रहा है, उनमें अफगानिस्तान, सीरिया, अंगोला, कांगो, ईराक, इजराईल, फिलिस्तीन, सोमलिया, सूडान, रवाडा,इंडोनेशिया, म्याम्बर, नेपाल,श्रीलंका, लाइबेरिया, थाईलेंड और पिफ्लिपिस जैसे देश शामिल हैं। शस्त्र संघर्षो में इस्तेमाल किए जा रहे बच्चो का जीवन बहुत ही खतरनाक और कठिन परिस्थितियों में बीतता है। यहाँ वे लगातार हिंसा के साए में रहते हैं और उन्हें हर समय गोली या बम के शिकार होने का खतरा बना रहता है।


 

इन परिस्थितियों और हालातों के चलते छोटी उम्र में ही बच्चे कई तरह कि शारीरिक वा मानसिक बीमारियां की भेंट चढ़ जाते हैं। उनका लगातार यौन शोषण होता है और कई बच्चे एचआईबी एड्स का भी शिकार हो जाते हैं। यह सब कुछ दुनिया की सबसे बड़ी पंचायत संयुक्त राष्ट्र द्वारा बच्चो को दिए गए अधिकार के हनन की पराकाष्ठा है। ऐसा नहीं है कि दुनिया ने इस पर ध्यान ना दिया हो, 12 फरवरी 2002 को संयुक्त राष्ट्र बाल अधिकार कन्वेंशन में एक अतिरिक्त प्रोटोकाल जोड़ा गया था। जो ससत्र संघर्षो में नाबालिक बच्चो के सैनिको के तौर पर उपयोग पर प्रतिबंध लगाता है। इसके बाबजूद अभी भी नाबालिग बच्चो को शस्त्र संघर्षो में भर्ती जारी है। 

बच्चो के सैनिक उपयोग की निंदा और इसके अंत के लिए हर साल 12 फरवरी को पूरी दुनिया में रेड हैंड डे नाम से एक विशेष दिन मनाया जाता है। इस आयोजन का मकसद दुनिया भर में कहीं भी हो रहे बच्चो को शहत्र संघर्ष में शामिल करने का विरोध जताना है। दुनिया में बच्चो के हक़ की आवाज में अपनी आवाज मिलाते हुए विकास संवाद पन्ना द्वारा चलाए जा रहे दस्तक अभियान से जुड़े दस्तक युवा और दस्तक बाल समूह ने लाल हांथ दिवस मनाते हुए बच्चो को सेना में भर्ती किए जाने और उनके साथ हो रही क्रूरता का विरोध जताया है।  

इस कार्यक्रम को दस्तक परियोजना के 10 गांवो के 182 युवा और बच्चो ने अपने-अपने गांवो में बैठको के माध्यम से चर्चा की एवं गांव में रैली निकालकर लोगों को जागरूक किया गया। बच्चो और युवाओ के इस कार्यक्रम में समुदाय ने भी पूरा सहयोग किया। इस कार्यक्रम में मुख्य रूप से दस्तक कार्यक्रम के जिला समन्यवयक रविकांत पाठक, रामऔतार तिवारी, पृथ्वी ट्रस्ट से समीना यूसुफ़ एवं सामुदायिक कार्यकर्ता छत्रसाल पटेल, रामविशाल गौंड, बबली अहिरवार, बैशाली सिंह, समीर खान दस्तक समूह के साथी अरविन्द्र गौंड, जेम्सी गौंड, निशा कोंदर, शांति गौंड आदि शामिल रहे। 

00000

Sunday, February 11, 2024

श्यामगिरि की वादियों में मौजूद है लुप्तप्राय मांसाहारी पौधा "ड्रोसेरा"

 

कल्दा पठार के जंगल में पाया गया कीटभक्षी पौधा ड्रोसेरा

।। अजय चौरसिया ।।

पन्ना। बुंदेलखंड क्षेत्र का पचमढ़ी कहे जाने वाले कल्दा पठार में घने जंगलों और प्राकृतिक जैवविविधता से समृद्ध श्यामगिरि की वादियों में वैसे तो औषधियों का  भंडार है, लेकिन यहां पर कुछ ऐसी प्रजातियों के पौधे भी पाए जाते हैं, जिन्हें अक्सर लोग किताबों में पढ़ते हैं या फिर टीवी पर ही देख पाते है। ऐसा ही एक कीटभक्षी पौधा ड्रोसेरा है जो कल्दा पठार के जंगल में पाया गया है। यह कीटभक्षी पौधा अपने भोजन की पूर्ति के लिए कीटपतंगों का शिकार करता है।

सुनने में भले ही अजीब लगे कि एक पौधा जीवित कीटों का शिकार कैसे कर सकता है लेकिन यह सच है। प्रकृति ने ड्रोसेरा की रचना कुछ इस तरह की है कि वह अपने भोजन की पूर्ति कीटों से करता है।इसके पत्तों पर अनेक रेशे निकले रहते हैं, जो एक चिपचिपा रस पैदा करते हैं। जो सूरज की रोशनी में ओस के कणों के समान चमकता है। इन चमकती बूँदों की ओर कीट आकर्षित होते हैं और स्पर्श करते ही चिपक जाते हैं। इसके पश्चात कीटों के छटपटाने से लम्बे रेशे सक्रिय हो जाते हैं और वे चारों तरफ से कीट को जकड़कर बंदी बना लेते हैं। इन रेशों से एक प्रकार का पाचक द्रव भी निकलता है, जो कीटों के पोषक तत्वों को अवशोषित कर लेते हैं। पाचन पूर्ण होने पर पुनः सीधे हो जाते हैं और अगले शिकार की प्रतीक्षा करने लगते हैं।

ड्रोसेरा प्राय: नदी नाले या तालाब के किनारे उन क्षेत्रों में पाया जाता है जहां नाईट्रोजन की कमी होती है और वहां की जलवायु शुद्ध होती है। ड्रोसेरा जमीन से नाइट्रोजन प्राप्त करने में असमर्थ होता है इसलिए वह अपने शरीर में नाइट्रोजन की पूर्ति के लिए कीट पतंगों का शिकार करता है। इस पौधे की पहचान दो दशक से प्रकृति संरक्षण कार्य कर रहे अजय चौरसिया ने कल्दा वन परिक्षेत्र के श्यामगिरि क्षेत्र में की है।  

प्रकृति रहस्यों से भरी पड़ी है। वनस्पतियों के इस विचित्र संसार में अनेक आश्चर्यजनक अजूबे भरे पड़े हैं। उन्हीं में से एक अजूबा है मांसाहारी पौधों का अद्भुत संसार। एक छोटे से नाले के किनारे बंजर मिट्टी में कुछ अजीब पौधे थे। उनके बारे में जानने की उत्सुकता में, मैंने उन गुलाबी पौधों को देखना शुरू किया उनकी तस्वीरें खींचीं। विस्तृत अवलोकन के बाद, मैं यह जानकर चौंक गया कि यह वही पौधा है जिसके बारे में हमने किताबों में पढा था। 

यह जानकर कि यह कीटभक्षी पौधा ड्रोसेरा है, मैं विस्मय और खुशी से अवाक रह गया। मैंने कुछ तस्वीरें लीं और अभी इसकी पारिस्थितिकी के बारे में अधिक विवरण तलाशने की जरूरत है। घटते प्राकृतिक आवास के कारण ड्रोसेरा विलुप्त होने के खतरे में है। इसकी उपलब्धता बहुत कम है और लुप्तप्राय होने के कारण इसे सहेजने की आवश्यकता है। जो जैवविविधता संरक्षण की दिशा में एक महत्वपूर्ण कदम होगा।

 ड्रोसेरा का पौधा कीड़ों को कैसे खाता है?




मांसाहारी पौधे ड्रोसेरा को मक्खाजाली भी कहा जाता है। इस पौधे की गोलाई में करीब 25 पत्तियां होती है। जिसकी पत्येक पत्ती पर 200 से अधिक छोटे छोटे संवेदक बाल होते है। इन बालों की चोटी पर एक चमकीला पदार्थ होता है। जिसे कीट पतंगे मधु समझकर आकर्षित होते और पत्ते पर बैठ जाते है। जैसे ही कीट उस पर बैठता है और चिपक जाता है तभी पत्ती पर मौजूद बाल सक्रिय होकर मुड़ने लगते हैं और कीड़े को पकड़ना शुरू कर देते हैं। 

ड्रोसेरा के पत्तों पर लगे बाल जब कीट को खीचकर बीच में ले जाते हैं तब पत्ते से एक पाचक पदार्थ निकलता है। जो कीड़े के मांस को घोल देता है और पौधा उसे चूस लेता है। ड्रोसेरा का पौधा फंसे हुए शिकार को लगभग 15 मिनट में मार सकता है और इसे कुछ हफ्तों तक पचा सकता है।

00000 


Saturday, February 10, 2024

यदि जल्दी नहीं चेते तो सूर्य की गर्मी से झुलसने लगेगी यह धरती !

  • जलवायु परिवर्तन से उपजे वैश्विक खतरे को अनदेखा करना खतरनाक
  • यदि ग्लेशियर पूरी तरह पिघल गए तो डूब जायेंगे समुद्र किनारे के नगर 

दिनोंदिन विकराल होता जा रहा जलवायु परिवर्तन का खतरा।  ( फोटो इंटरनेट से साभार )

जलवायु परिवर्तन (Climate change) का खतरा दिनोंदिन विकराल रूप लेता जा रहा है। इस वैश्विक खतरे की ओर दुनिया भर के बुद्धजीवी व पर्यावरणविद वर्षों से निरंतर चेता रहे हैं। फिर भी हम दस्तक दे रहे इस विनाशकारी खतरे को अभी भी अनदेखा किये जा रहे हैं। यदि इस भयानक होती जा रही समस्या पर तत्काल ध्यान नहीं दिया गया तो हमारी आने वाली पीढ़ियों को जलवायु परिवर्तन के विनाशकारी खतरों से जूझना पड़ेगा। और तब बहुत देर हो चुकी होगी। इस वैश्विक संकट पर केंद्रित अनिल सरस्वती का आलेख ओशो टाइम्स में प्रकाशित हुआ है, जो आने वाली भीषण तबाही के प्रति सचेत करता है।  

 इस समय धरती पर लगभग एक अरब 50 करोड़ यातायात के वाहन दौड़ रहे हैं। अरबों टन कोयला जल रहा है, पेट्रोल और डीजल के अनगिनत बैरल फूंके जा रहे हैं ताकि जिसे हम विकास कहते हैं उसकी रफ्तार तेजी से चलती रहे, और दूर उत्तरी ध्रुव में आर्कटिक पर जमी हिम और बर्फ की मोटी परत तेजी से पिघल रही है। पहले यह अनुमान था कि यदि पृथ्वी के बढ़ते हुए तापमान को नहीं रोका गया तो वर्ष 2040 तक आर्कटिक पूरी तरह बर्फ से मुक्त हो जाएगा लेकिन अब एक नई रिपोर्ट के अनुसार हमारे सारे प्रयासों के बावजूद वर्ष 2030 की वह पहले गर्मी होगी जब आर्कटिक पर बर्फ ही नहीं होगी। यह कोई साधारण घटना नहीं है, हम सबका जीवन इससे जुड़ा है।

आर्कटिक और अंटार्कटिक इस पृथ्वी के रेफ्रिजरेटर हैं और पूरे विश्व को शीतल रखते हैं। क्योंकि वह शुभ्र श्वेत हिम और बर्फ से ढके हैं, इसलिए सूरज का प्रकाश और गर्मी इनसे टकराकर अंतरिक्ष में वापस लौट जाते हैं। धरती के बहुत से इलाके ऐसे हैं जो सूर्य की गर्मी को सोख लेते हैं। आर्कटिक और अंटार्कटिक अपनी सर्दी से उन गर्म प्रदेशों द्वारा सोख ली गई गर्मी के साथ एक संतुलन बनाने का काम करते हैं, अन्यथा हमारी यह धरती सूर्य की गर्मी से झुलसने लगेगी।

 पिछले कुछ दशकों से हर दशक में आर्कटिक सागर की बर्फ 13% पिघल रही है और आज अपने मौलिक स्वरूप से यह बर्फ अविश्वसनीय 95% कम हो चुकी है। जल्द ही हमें इसके दूरगामी प्रभाव देखने को मिलेंगे। वर्ष 1900 से लेकर आज तक हमारे समुद्रों का स्तर 7 से 8 इंच बढ़ चुका है और स्थिति बिगड़ती जा रही है। बढ़ते हुए सागर तलों से इनके किनारे बसे महानगरों का जीवन खतरे में है। ध्रुवीय ग्लेशियरों का पिघलना इसका मुख्य कारण है। अगर यह ग्लेशियर पूरी तरह पिघल जाते हैं तो पूरे विश्व के समुद्रों का तल 20 फीट ऊंचा हो जाएगा। इसका अर्थ होगा उनके किनारे बसे सारे नगर पानी के अंदर होंगे और करोड़ों करोड़ों लोगों का जीवन खतरे में होगा। एक अभूतपूर्व भगदड़ मचेगी, मनुष्य और जीव जंतु सुरक्षित स्थानों की तलाश में पलायन करने लगेंगे। हमारी जलवायु पूरी तरह अस्त-व्यस्त हो जाएगी, भयंकर गर्म हवाएं चलने लगेंगी।

अंतरराष्ट्रीय संधियों के अनुसार इस धरती को कार्बन से मुक्त करने का लक्ष्य वर्ष 2030 रखा गया है, लेकिन भारत, चीन और अमेरिका जैसे देशों को इसके लिए कुछ और समय चाहिए जो इस धरती के पास है ही नहीं। हमें चाहिए अधिक और अधिक विकास, बड़ी-बड़ी गाड़ियां हवाई जहाज से यात्राएं, हमारी कभी ना पूरी होने वाली इच्छाओं को पूरा करने के लिए प्रदूषण फैलाते कारखाने। स्वीडन और नार्वे जैसे देश इस स्थिति को सुधारने के लिए काफी कोशिश कर रहे हैं लेकिन वह सब व्यर्थ है अगर शेष विश्व उनका साथ नहीं देता। संभवतया पहले ही काफी देर हो चुकी है।

साईकिल यात्रा के जरिए दे रहे पर्यावरण संरक्षण का संदेश



दुनिया भर में अनेकों लोग इस गंभीर संकट के प्रति न सिर्फ सजग हैं बल्कि दूसरों को भी सजग करने के प्रयास में जुटे हैं। वे इसे अनदेखा कर हाँथ पर हाँथ रखकर नहीं बैठे अपितु अपने दायित्यों का निर्वहन कर रहे हैं जो शुभ संकेत है। ग्रीन इंडिया मूवमेंट के तहत पर्यावरण संरक्षण व जनजागरण अभियान के माध्यम से लोगों को जागरूक करने के उद्देश्य से उत्तर प्रदेश के इटावा निवासी रोबिन सिंह साईकिल से भारत भ्रमण कर रहे हैं। साईकिल यात्रा के दौरान रोबिन सिंह शुक्रवार को सतना से साईकिल चलाकर पन्ना पहुंचे। 

उन्होंने बताया कि देश में घटते वन क्षेत्र के संरक्षण, पुनर्वीकरण वन क्षेत्रों में वृद्धि तथा जलवायु परिवर्तन के वैश्विक खतरे को देखते हुए जनजागरण अभियान अकेले साईकिल द्वारा संपूर्ण भारत वर्ष में शुरू करने का निर्णय लिया। अब तक 491 दिन में यात्रा 23 राज्यों में भ्रमण कर चुकी है। तमिलनाडु के कन्याकुमारी से शुरू हुए ग्रीन इंडिया मूवमेंट-पर्यावरण संरक्षण जनजागरूकता अभियान के प्रथम चरण का समापन आगामी 11 मार्च को भोपाल में होगा। रोबिन सिंह ने बताया कि यात्रा के दौरान विभिन्न स्थानों पर विशेषकर युवाओं व छात्रों के साथ पर्यावरण संरक्षण विषय पर संवाद भी करते हैं। उन्होंने संवेदनशील होकर पर्यावरण के संरक्षण के प्रयास में शामिल होने की आवश्यकता बताई।

00000


Saturday, February 3, 2024

खजुराहो में 20 फरवरी से होगा स्काई डाइविंग फेस्टिवल

  • प्रदेश को एडवेंचर हब बनाने की एम.पी. टूरिज्म की पहल
  • स्काई डाइविंग करने का समय सुबह 8 से शाम 5 बजे तक

यूनेस्को विश्व धरोहर स्थल खजुराहो स्थित मन्दिर, जिन्हें निहारने हजारों पर्यटक हर साल आते हैं।  

भोपाल। प्रदेश में एडवेंचर टूरिज्म को बढ़ावा देने के उद्देश्य से मध्यप्रदेश टूरिज्म बोर्ड द्वारा 8 फरवरी से स्काई डाइविंग फेस्टिवल की शुरुआत की जाएगी। उज्जैन में 8 फरवरी और खजुराहो में 20 फरवरी से शुरू होने वाला स्काई डाइविंग फेस्टिवल एक बार फिर रोमांच और मनोरंजन की सौगात पेश करेगा। 

प्रमुख सचिव पर्यटन और संस्कृति एवं प्रबंध संचालक टूरिज्म बोर्ड शिव शेखर शुक्ला ने बताया कि स्काई-डाइविंग फेस्टिवल के प्रथम एवं द्वितीय संस्करण की सफलता व एडवेंचर गतिविधि के प्रति पर्यटकों के उत्साह को देखते हुए इस वर्ष उज्जैन में तृतीय संस्करण एवं खजुराहो में प्रथम संस्करण का आयोजन किया जा रहा है। 

उज्जैन में दताना एयरस्ट्रिप पर 8 से 17 फरवरी तक और खजुराहो में 20 से 25 फरवरी तक एडवेंचर लवर्स असमान में उड़ने के रोमांच का अनुभव कर पाएंगे। स्काई डाइविंग करने का समय सुबह 8 से शाम 5 बजे तक है। बुकिंग www.skyhighindia.com पर की जा सकती है।

खजुराहो नृत्य समारोह की स्वर्ण जंयती को बनाया जा रहा खास 



प्रमुख सचिव श्री शुक्ला ने बताया कि यूनेस्को विश्व धरोहर स्थल खजुराहो में 20 फरवरी से 26 फरवरी तक 50वें खजुराहो नृत्य समारोह का आयोजन होगा। महोत्सव के स्वर्ण जंयती अवसर को खास बनाने के लिए दुनिया का सबसे रोमांचक खेल स्काई डाईविंग फेस्टिवल आयोजित किया जा रहा है। देशभर के रोमांचप्रेमी इस दौरान 10 हजार फीट की ऊंचाई से खजुराहो में पुरातात्विक उत्कृष्टता के प्रतीक धरोहरों को निहार सकेंगे।

खजुराहो नृत्य समारोह की शुरुआत वर्ष 1975 में की गई थी और तब से आज तक संस्कृति विभाग अंतर्गत उस्ताद अलाउद्दीन खां संगीत एवं कला अकादमी द्वारा इसका सफल आयोजन किया जा रहा है। इस वर्ष नृत्य और कला के इस असीम संगम की स्वर्ण जंयती है, जिसे लेकर विशेष तैयारियां की जा रही है। इसी के तहत स्काई डाईविंग फेस्टिवल होगा, जिसमें देशभर से रोमांच प्रेमी खजुराहो पहुंचेंगे।

आधुनिक और बेहद सुरक्षित होगी राईड

स्काई डाईविंग का संचालन डायरेक्टरेट जनरल ऑफ सिविल एविएशन (डी.जी.सी.ऐ) DGCA एवं यूनाइटेड स्टेट पैराशूट एसोसिएशन (यू.एस.पी.ए.) USPA द्वारा प्रमाणित संस्था "स्काई-हाई इंडिया" द्वारा किया जा रहा है। स्काई डाइविंग में उपयोग किए जाने वाला एयरक्राफ्ट नागरिक विमानन निदेशालय से पंजीकृत है। संस्था द्वारा उच्चतम मानकों के साथ प्रशिक्षित स्काई डाइवर के सहयोग से स्काई डाइविंग कराई जायेगी।

00000